LN12 2PY - Land for sale in Sutton Road, Trusthorpe, Mablethorpe, LN12

View on Property Piper

Land for sale in Sutton Road, Trusthorpe, Mablethorpe, LN12

Summary - Sutton Road, Trusthorpe, Mablethorpe LN12 2PY

1 bed 1 bath Land

**Key Features:**
- **Location:** Prime beachfront site, ideal for a holiday park.
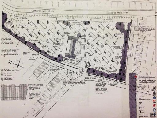
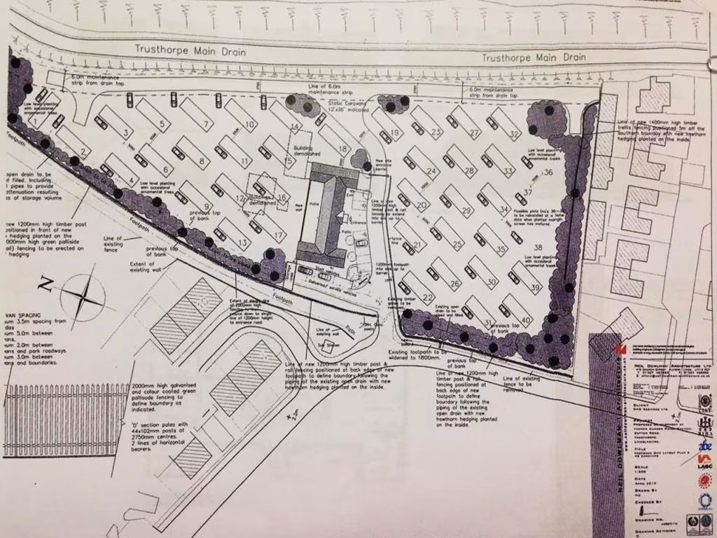
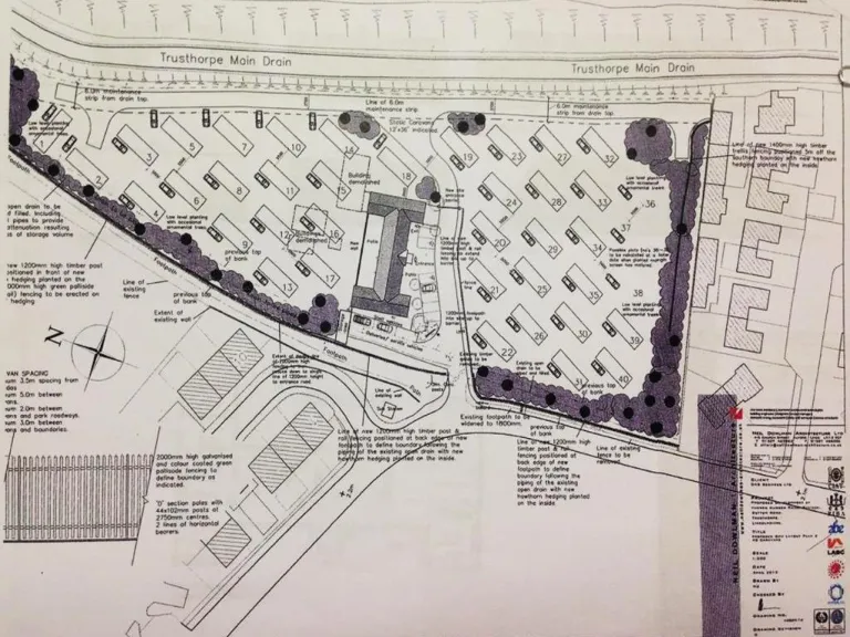
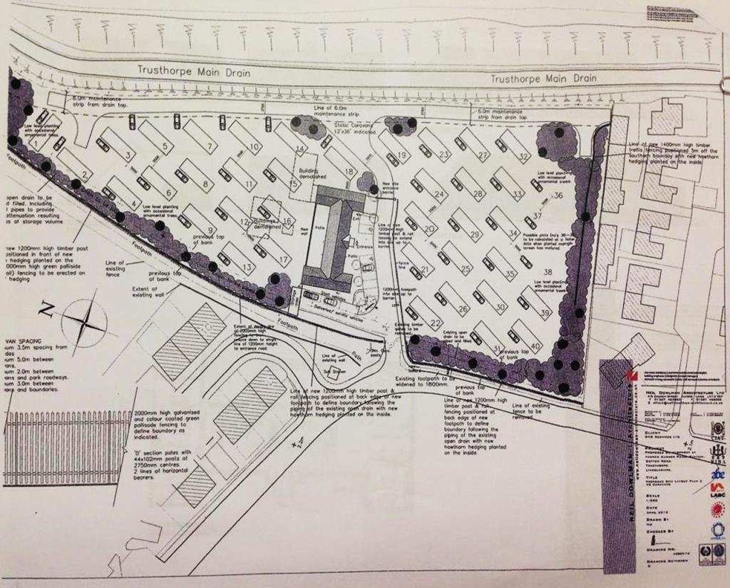
- **Planning Permission:** Approved for approximately 40 static caravan pitches and conversion of former radio station into a shop, restaurant, and cafe.
- **Plot Size:** Approximately 2.8 acres (subject to survey).
- **Future Potential:** Excellent redevelopment opportunity in a desirable tourist area.
- **Accessibility:** Strong broadband speeds and excellent mobile signal; nearby amenities in Sutton on Sea and Mablethorpe.

**Summary:**
Seize this rare opportunity to acquire a vast beachfront plot of around 2.8 acres in Trusthorpe, perfect for investors looking to tap into the lucrative holiday market. With full planning permission for approximately 40 static caravan pitches and the conversion of a former radio station building into a restaurant and shop, this property boasts significant development potential. The site is surrounded by charming coastal attractions and idyllic sandy beaches, making it a destination for holiday-goers. While the permission granted has lapsed, communication with East Lindsey District Council suggests that a valid start has been made, keeping your options open for development.

This property is set in a tranquil yet accessible area, ideal for families seeking a long-term investment or lifestyle change. However, potential buyers should be aware that VAT is applicable, which may affect your budget considerations. Don't miss out on transforming this unique space into a haven for holidaymakers—properties like this are seldom available for long!

Property Details

Brochure Descriptions

Image Descriptions

Textual Property Features

Detected Visual Features

Nearby Schools

Nearest Bars And Restaurants

,,,,}

Nearest General Shops

,,}

Nearest Grocery shops

,,}

Nearest Supermarkets

,,}

Nearest Religious buildings

,,}

Nearest Medical buildings

,,,}

Nearest Leisure Facilities

,,,,}

Nearest Tourist attractions

,,}

Nearest Train stations

,,,,}

Nearest Bus stations and stops

,,,,}

Nearest Hotels

,,}

Tags

Local Market Stats

Similar Properties

Meta

High Res Images

Compatible Images

Low res Images

Thumbnails

Raw Images