Rare equestrian plot with spacious living and redevelopment potential close to transport.
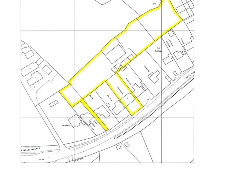
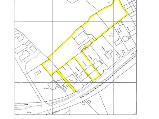
- Approximately 1.5 acres with four paddocks and equestrian facilities
- Private lane access to rear paddocks and separate entry
- Ground-floor double bedroom with en-suite (originally two rooms)
- Conservatory overlooking garden and paddocks, strong indoor–outdoor link
- Large driveway, attached garage with power, lighting and maintenance pit
- Redevelopment potential but subject to necessary planning permissions
- Slow broadband speeds across the property
- Council tax band above average; buyers should arrange full surveys
Set on approximately 1.5 acres, this detached chalet-style character home combines generous internal space with substantial paddocks, stables and outbuildings — rare for a suburban-edge location. The ground floor offers a large dual-aspect lounge, conservatory, substantial kitchen, utility and a double bedroom with en-suite, while two further double bedrooms and family bathroom sit on the first floor. Extensive grounds include four paddocks, three stables, feedstore/tack room, hay barn, sand school, poultry pens and a garage with workshop.
The land and separate private-lane access to the rear paddocks make the property well suited to equestrian hobbyists, small-scale hobby farming or buyers seeking redevelopment potential (any change would be subject to necessary planning consents). The sizable driveway provides off-street parking for several vehicles and the garage includes power, lighting and a maintenance pit.
Buyers should note material practical points: broadband speeds are slow, council tax is above average, and any redevelopment or change of use requires planning permission. The property dates from the early 20th century and, while much is usable, prospective purchasers are advised to commission their own surveys and service checks before exchange. Internal viewing is recommended to appreciate the scale and scope of the house and grounds.
3 bedroom detached house for sale in Rattle Road, Westham, Pevensey, BN24 — £699,950 • 3 bed • 3 bath • 2112 ft²
3 bedroom bungalow for sale in Carters Corner, Hailsham, BN27 — £750,000 • 3 bed • 2 bath • 2096 ft²
4 bedroom detached house for sale in Rattle Road, Westham, Pevensey, East Sussex, BN24 — £769,000 • 4 bed • 3 bath • 3415 ft²
4 bedroom chalet for sale in Gainsborough Lane, Polegate, BN26 — £495,000 • 4 bed • 2 bath • 1398 ft²
3 bedroom detached house for sale in Patcham Mill Road, Stone Cross, Pevensey, East Sussex, BN24 — £400,000 • 3 bed • 2 bath • 1115 ft²
4 bedroom detached house for sale in Ash Grove, Westham, Pevensey, BN24 — £450,000 • 4 bed • 2 bath • 1446 ft²






















































































