**Standout Features:**
- Full planning permission granted for a 4-bedroom, 3-bathroom home (Application: PL/2024/07689)
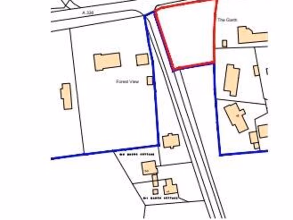
- Expansive plot of approximately 0.11 hectares (0.28 acres)
- Designed by acclaimed Fowler Architects
- Generous gross internal area of around 2368 sq. ft. (220 sqm)
- South-facing garden and adjoining garage/home office
**Summary:**
This exceptional development plot in the tranquil village of East Grafton offers a rare opportunity to create your dream home in a picturesque rural setting. With full planning permission in place for a stunning 4-bedroom, 3-bathroom residence, you have the chance to enjoy spacious living across approximately 2368 sq. ft. Designed by renowned local architects, this modern home will feature a south-facing garden, perfect for outdoor relaxation and entertaining.
Nestled near essential village amenities—including a nursery school, church, and village hall—this plot boasts easy access to the market towns of Marlborough and Hungerford, as well as excellent road and rail links to the wider area, including London Paddington. The surrounding North Wessex Downs National Landscape invites you to explore nature, offering numerous walking, cycling, and horse riding routes, alongside the nearby Kennet and Avon Canal.
While the setting promises tranquility against a backdrop of mature trees and countryside views, the property also offers a convenient lifestyle with low crime rates and good local schools. This rare opportunity to build a bespoke home in a respected village likely won’t last long—don't miss your chance to invest in your future.



























