PE14 9EA - Land for sale in Stone House Road, Upwell, Wisbech, PE14

View on Property Piper

Land for sale in Stone House Road, Upwell, Wisbech, PE14

Summary - 100 Stephenson's Road, Heptill PL4 9EA PE14 9EA

1 bed 1 bath Land

Permitted three-bedroom plot in Upwell — auction sale, buyers must carry out due diligence.
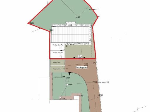
Planning permission granted for detached 3-bedroom house (Ref: 19/00475/O)
Freehold plot in village location with canal and rural outlook
To be sold at auction on 9th September 2025; guide price indicative
Buyer pays £1,500 contract documentation fee; additional seller fees possible
Services untested — purchasers must commission utility and site surveys
Slow broadband and average mobile signal may affect buyers working from home
No flood risk; local crime levels low, nearby schools rated Good
Large plot with single garage and off-road parking shown in permission
This is a freehold building plot in the popular village of Upwell with planning permission (19/00475/O) for a detached three-bedroom house, single garage and off-road parking. The site sits in a semi-rural setting close to village amenities and a scenic canal, offering a straightforward development opportunity for a small new-build or speculative sale.

The lot will be sold at auction on 9th September 2025. Prospective buyers should note a contract documentation fee of £1,500 (inclusive of VAT) payable by the purchaser, and the seller may charge additional completion fees detailed in the Special Conditions of Sale. The guide price is indicative only and the final sale price may be above or below that level.

Services have not been tested and purchasers are advised to commission their own surveys and utility searches before bidding. Broadband is reported as slow and mobile signal average — factors to consider if marketing as a family home. There is no flood risk and local crime levels are low, with nearby primary schools rated Good.

This plot suits experienced self-builders, small developers or investors looking for a permitted small-scale new-build in a quiet village location. Be aware of auction sale risks and carry out full due diligence on services, boundaries and any additional sale fees before the auction.

Property Details

Brochure Descriptions

Image Descriptions

Rooms

Textual Property Features

Target Audience

AI Tags

Detected Visual Features

Nearby Schools

Nearest Bars And Restaurants

,,,,}

Nearest General Shops

,,}

Nearest Grocery shops

,,}

Nearest Supermarkets

,,}

Nearest Religious buildings

,,}

Nearest Medical buildings

,,,}

Nearest Leisure Facilities

,,,,}

Nearest Tourist attractions

,,}

Nearest Train stations

,,,,}

Nearest Bus stations and stops

,,,,}

Nearest Hotels

,,}

Tags

Local Market Stats

AirBnB Data

Similar Properties

Meta

High Res Images

Compatible Images

Low res Images

Thumbnails

Raw Images

High Res Floorplan Images

Compatible Floorplan Images

Low res Floorplan Images

FloorplanImages Thumbnail

Raw Floorplan Images