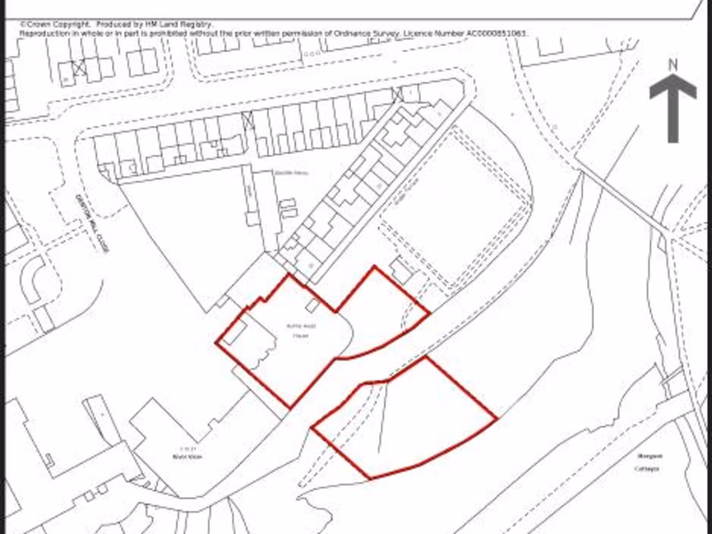
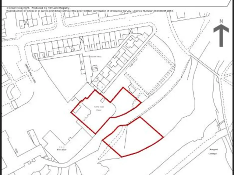
Spacious riverside site with conversion potential for residential or leisure buyers.
Grade II listed Victorian property with strong period features
Holme Head House is a landmark Grade II listed riverside property offering over 5,500 sq ft of flexible space and extensive grounds. The site includes formal rose gardens, woodland, generous off-street parking and a large swathe of uncultivated riverside land with strong potential for restoration or development. A fully equipped, five-star-rated commercial kitchen and dry, powered cellar add commercial versatility for leisure or catering uses.
The building has been substantially restored since 2012 and retains Victorian character—high ceilings, original covings and large rooms—making residential conversion to a single signature home or luxury flats realistic, subject to planning. Its position by the River Caldew with views toward the iconic weir creates a distinctive setting that will appeal to buyers seeking a high-profile, character property in a city location.
Important commercial and legal considerations: the property is VAT opted, the buyer will be liable for VAT on top of the purchase price, and the Grade II listing will restrict alterations and complicate conversions. The site currently houses an active community atelier and other uses, so viewings are by appointment. Nearby amenities and schools are within reach, though local crime levels are above average and any redevelopment will require planning consent and listed-building approvals.
4 bedroom detached house for sale in Denton Holme, Carlisle, CA2 — £650,000 • 4 bed • 4 bath • 5603 ft²
3 bedroom end of terrace house for sale in Bridge Terrace, Carlisle, Cumbria, CA2 — £190,000 • 3 bed • 1 bath • 1253 ft²
Commercial development for sale in Edenhall, Penrith, CA11 — £1,625,000 • 8 bed • 6 bath • 2359 ft²
4 bedroom barn conversion for sale in Denton Mill, Brampton, Cumbria, CA8 — £750,000 • 4 bed • 3 bath • 2470 ft²
6 bedroom character property for sale in Southwaite, CA4 — £995,000 • 6 bed • 2 bath • 4930 ft²
4 bedroom character property for sale in Boustead Hill, Burgh-By-Sands, Carlisle, CA5 — £500,000 • 4 bed • 3 bath • 5533 ft²






















































































































































