**Standout Features:**
- Traditional stone-built farmhouse and adjoining cottage
- Full planning permission to convert into a single three-bedroom home
- Expansive gardens and off-street private parking
- Scenic south-easterly views over open countryside
- Prime rural location near Barrowford and M65 access
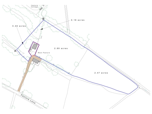
- Up to 6.02 acres of land available for separate negotiation
- Requires extensive renovation, providing a blank canvas for creativity
**Summary:**
Discover the potential of West Pasture Farm, a captivating farmhouse and adjoining cottage located in a pristine rural setting, ideal for buyers seeking a countryside retreat. With comprehensive planning permission approved to transform the property into a spacious three-bedroom residence, this is a golden opportunity to craft your dream home tailored to your style. Set on a generous lot overlooking idyllic farmland, the property offers a serene atmosphere with ample outdoor space for gardens or agricultural use.
While the buildings currently require significant refurbishment, they promise generous room sizes and a charming rustic character awaiting restoration. Enjoy the peace and low crime rates of the surrounding area, while being conveniently close to amenities in the beloved village of Barrowford. This property is chain-free and offers the unique chance to live in tranquility within easy access to the M65 motorway, making it a fantastic investment for families, first-time buyers, or those looking to customize a dream property. Don't miss out on this rare opportunity to create a peaceful home in an exclusive countryside location. Secure your viewing today as such opportunities are not available for long!
4 bedroom detached house for sale in Whytha Lane, Rimington, Clitheroe, Lancashire, BB7 — £1,025,000 • 4 bed • 3 bath • 3000 ft²
4 bedroom barn conversion for sale in 4 bedroom barn conversion for sale – West Pasture Barn, Pasture Lane, Barrowford, BB9 6QY, BB9 — £275,000 • 4 bed • 1 bath • 2400 ft²
4 bedroom barn conversion for sale in Pasture Lane, Barrowford, BB9 — £750,000 • 4 bed • 2 bath • 9857 ft²
4 bedroom farm house for sale in 4 bedroom detached farmhouse for sale – Little Thorn Edge Farm, Trawden, BB8 8QA, BB8 — £450,000 • 4 bed • 1 bath • 2030 ft²
3 bedroom detached house for sale in Skipton Old Road, Laneshawbridge, BB8 — £850,000 • 3 bed • 3 bath • 1631 ft²
3 bedroom semi-detached house for sale in Gisburn Road, Blacko, Nelson, Lancashire, BB9 — £765,000 • 3 bed • 2 bath • 4328 ft²


























































