LL61 5YX - Land for sale in A5, Llanfairpwll, Anglesey, LL61

View on Property Piper

Land for sale in A5, Llanfairpwll, Anglesey, LL61

Summary - A5, Llanfairpwll, Anglesey, LL61 LL61 5YX

1 bed 1 bath Land

**Standout Features:**
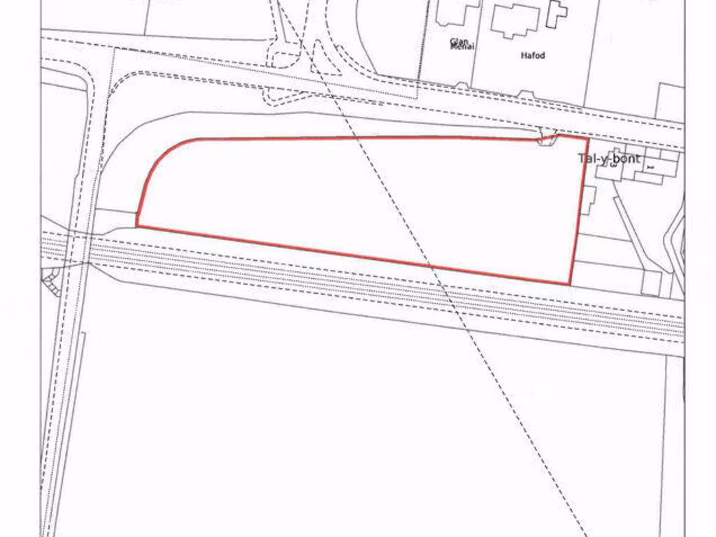
- Expansive land parcel of approximately 1.65 acres.
- Prime location at the entrance of Llanfairpwll.
- Potential for various development opportunities (subject to necessary consents).
- Close proximity to major transport links, including the A55 and railway station.
- Estimated low crime rate and fast broadband access.

**Summary:**
This expansive 1.65-acre plot of land located in the desirable village of Llanfairpwll offers a versatile development opportunity for investors or those looking to create their own agricultural space. Given its strategic position near the A55 expressway, leading to Anglesey and the mainland, and the nearby railway station, this location promises excellent accessibility and future growth potential.

While the land is currently undeveloped and used for agricultural purposes, any change of use would require the necessary planning permissions, presenting a unique investment challenge for ambitious buyers. Enjoy the benefit of a peaceful rural setting with local amenities and vibrant community activities within close proximity. With a starting price of just £60,000, the future possibilities are vast—but they won't last long at this price point! Don't miss the opportunity to transform this blank canvas into your dream project.

Property Details

Image Descriptions

Textual Property Features

Detected Visual Features

Nearest Bars And Restaurants

,,,,}

Nearest General Shops

,,}

Nearest Grocery shops

,,}

Nearest Supermarkets

,,}

Nearest Religious buildings

,,}

Nearest Medical buildings

,,,}

Nearest Leisure Facilities

,,,,}

Nearest Tourist attractions

,,}

Nearest Train stations

,,,,}

Nearest Bus stations and stops

,,,,}

Nearest Hotels

,,}

Tags

Local Market Stats

Similar Properties

Meta

High Res Images

Compatible Images

Low res Images

Thumbnails

Raw Images