**Standout Features:**
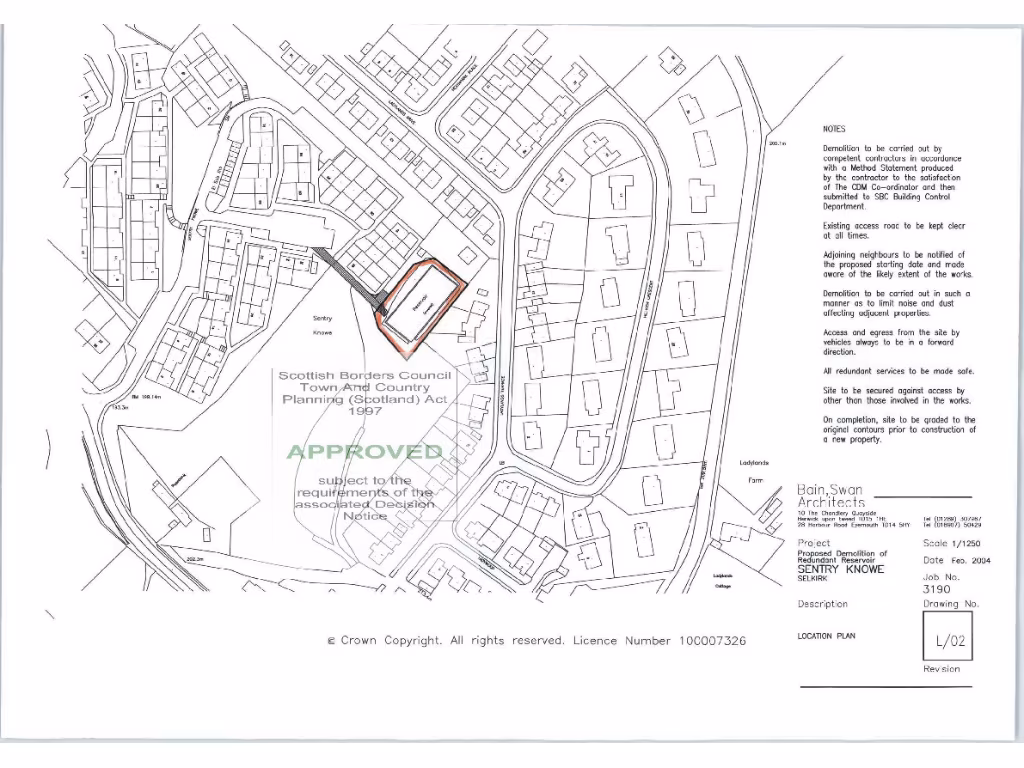
- **Size:** 0.33 acres plot, offering ample space for construction.
- **Planning Consent:** Approved for a single dwelling, streamlining the development process.
- **Location:** Elevated position with breathtaking views over the Ettrick and Yarrow Valleys.
- **Accessibility:** Close to town center with local amenities within easy reach.
- **Connectivity:** Excellent mobile signal and fast broadband speeds.
**Potential Concerns:**
- **Neighborhood Context:** Located in an area classified as having higher levels of deprivation.
- **Surrounding Environment:** Development of a single dwelling may require thoughtful planning to blend with local surroundings.
Discover the perfect canvas for your dream home with this exceptional building plot in Sentryknowe, Selkirk. Set on approximately 0.33 acres, this spacious lot boasts approved planning consent for a single dwelling, making it an ideal opportunity for those looking to design and construct a residence that capitalizes on serene countryside views. Enjoy the tranquil setting nestled on the edge of town, while still being within walking distance of essential amenities and recreational facilities.
This elevated site not only offers breathtaking views of the picturesque Ettrick and Yarrow Valleys but also presents flexibility for various architectural designs. The outstanding broadband and mobile connectivity make this property suitable for modern living. Don’t miss out on this rare opportunity—secure your slice of rural paradise today!
Land for sale in Plot at The Valley, Selkirk TD7 — £65,000 • 1 bed • 1 bath
Residential development for sale in Site at 1 Loanside, Selkirk, TD7 4DJ, TD7 — £60,000 • 1 bed • 1 bath
Land for sale in Land South Of Greenfields, 43 Liddesdale Road, Hawick, TD9 0EP, TD9 — £55,000 • 1 bed • 1 bath
Land for sale in Plot 5, Leaburn Drive, Hawick, TD9 9NZ, TD9 — £85,000 • 1 bed • 1 bath
Plot for sale in Plot 6, Heronhill Close, Hawick, TD9 9RA, TD9 — £110,000 • 1 bed • 1 bath • 482 ft²
Land for sale in Plot of land South East of Garthrig, Lanton, TD8 6SU, TD8 — £85,000 • 1 bed • 1 bath


















































































