Spacious 1870 detached home with 2023 annex, stables and paddocks on a large plot.
Three double bedrooms; master bedroom with en-suite
2023 one-bedroom annex with underfloor heating (ideal multi-gen/Airbnb)
Air source heat pump powering heating; energy-efficient system
Large plot with barn, stables and paddocks for horses or livestock
Far-reaching countryside and river views; village amenities nearby
Garage, multiple outbuildings and very large overall footprint
Expensive council tax; extensive grounds require ongoing maintenance
Average broadband speeds; excellent mobile signal
Set on a very large plot at the edge of Great Barford, this 1870 detached home combines period character with recent high-standard renovation. The main house offers three double bedrooms, a master with en-suite, spacious reception rooms and far-reaching countryside views — ideal for family living or countryside lifestyle buyers. Good road links to Bedford, the A1 and Cambridge keep the property connected while riverside walks, a village shop and pub are moments away.
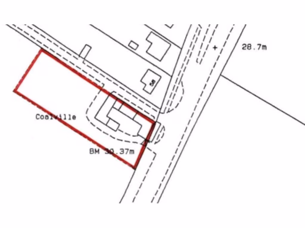
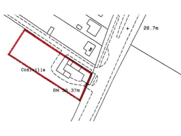
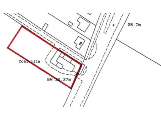
A converted one-bedroom annex completed in 2023 (Coalville Cottage) was created from a triple garage and benefits from underfloor heating throughout, supplied by an eco-friendly air source heat pump. The annex provides private, flexible accommodation suitable for multi-generational living, home working or short-let (Airbnb) income, while the main plot includes a garage, barn, outbuildings, stables and paddocks suitable for horses or small livestock.
Practical points to note: council tax is rated expensive and the extensive grounds, outbuildings and paddocks will require ongoing maintenance. Broadband speeds are average; mobile signal is excellent. The property has been renovated recently, but the size and number of outbuildings mean prospective buyers should allow time and budget for upkeep and running costs.
Overall this is a rare rural offering that blends historic charm, modern eco heating and flexible ancillary accommodation. It will suit buyers seeking space, countryside views and equestrian potential, as well as investors looking for a strong multi-let or holiday-let opportunity.
4 bedroom detached house for sale in High Street, Great Barford, MK44 — £650,000 • 4 bed • 2 bath • 2054 ft²
8 bedroom detached house for sale in Green End Road, Kempston, Bedford, MK43 — £1,750,000 • 8 bed • 6 bath • 4724 ft²
4 bedroom detached house for sale in High Street, Riseley, MK44 — £600,000 • 4 bed • 2 bath • 1751 ft²
5 bedroom bungalow for sale in New Road, Bedford, MK44 — £1,250,000 • 5 bed • 4 bath • 2487 ft²
3 bedroom detached house for sale in Court Lane, Stevington, Bedfordshire, MK43 — £750,000 • 3 bed • 3 bath • 2133 ft²
3 bedroom barn conversion for sale in Thurleigh Road, Bolnhurst, MK44 — £475,000 • 3 bed • 2 bath • 1438 ft²


















































































































































