Energy-efficient, low-maintenance single-storey living in a quiet village setting..
- Newly built detached bungalow with ten-year warranty
- Highly energy-efficient: air source heating, high insulation, LED lighting
- Level single-storey living suited to downsizers
- Large enclosed garden with sandstone patio
- Driveway parking for two cars, private sewage treatment plant
- Approximately 800 sq ft; compact layout for comfortable occupancy
- Single bathroom only; may be limiting for some households
- Council tax band currently unknown
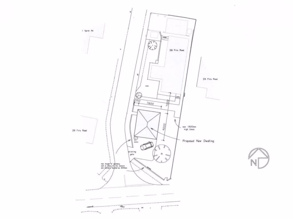
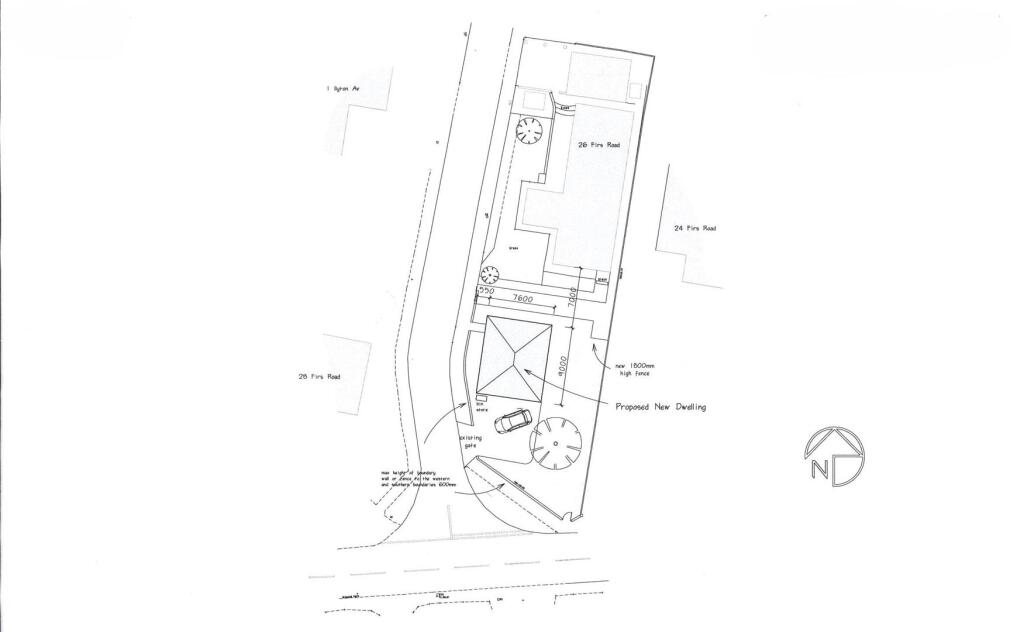
A brand-new, single-storey detached bungalow finished to modern, energy-efficient standards. Built with high insulation, zone air-source heating and LED lighting, the home promises low running costs and minimal maintenance for years, backed by a ten-year new-build warranty.
Designed for easy living, the bungalow offers a generous open-plan living/kitchen, a principal bedroom plus a flexible second room ideal for a study, utility or snug, and a single bathroom. The L-shaped layout and level access make the home especially suitable for downsizers or those seeking long-term, ground-floor living without compromise on contemporary finishes.
Outside, the large enclosed garden with a 4.8m x 2.4m sandstone patio and tarmac drive provides secure outdoor space and comfortable off-street parking for two cars. The property sits in a quiet village setting with very low crime, fast broadband and excellent mobile signal — practical benefits for modern life.
Buyers should note the home is compact at around 800 sqft and has one bathroom, which may feel limiting for some households. Council tax is currently unknown. Otherwise, the property’s new construction, low-maintenance exterior finishes and its own sewage treatment plant reduce immediate upkeep and make it a straightforward move for those seeking a manageable, energy-efficient home.
2 bedroom semi-detached bungalow for sale in Juniper Road, Firsdown, SP5 — £339,950 • 2 bed • 1 bath • 721 ft²
2 bedroom semi-detached bungalow for sale in Bouverie Close, Salisbury, SP2 — £325,000 • 2 bed • 1 bath • 657 ft²
2 bedroom bungalow for sale in Great Croft, Firsdown, Salisbury, SP5 — £320,000 • 2 bed • 2 bath • 1259 ft²
2 bedroom detached bungalow for sale in Ilynton Avenue, Firsdown, Salisbury, SP5 — £350,000 • 2 bed • 1 bath • 1063 ft²
2 bedroom detached bungalow for sale in Melvin Close, Laverstock ***VIDEO TOUR***, SP1 — £335,000 • 2 bed • 1 bath • 474 ft²
3 bedroom bungalow for sale in Broadfield Road, Gomeldon, Salisbury, Wiltshire, SP4 — £365,000 • 3 bed • 1 bath • 677 ft²


























