Renovated period home with garden and development potential near Church Stretton.
- Recently renovated four-bedroom detached period cottage
- Large private rear garden, summerhouse and brick outbuilding
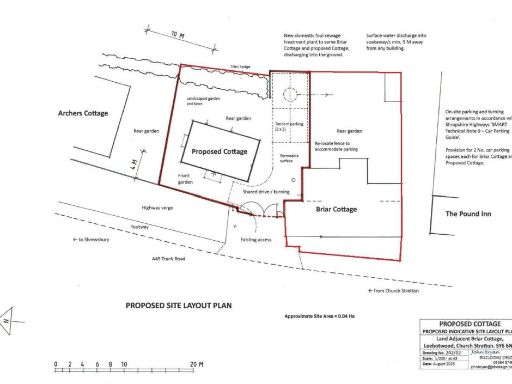
- Off-street parking with gated access to adjoining land
- Adjoining land submitted for local plan; planning not guaranteed
- Mains gas heating; replaced double glazing (pre-2002)
- Drainage by septic tank — ongoing maintenance required
- Solid brick walls assumed uninsulated; potential energy upgrade
- Medium flood risk; council tax above-average
Briar Cottage is a sympathetically restored four-bedroom detached cottage set in Leebotwood, midway between Church Stretton and Shrewsbury. The accommodation combines character features — exposed beams and original fireplaces — with contemporary updates: a well-equipped kitchen, refitted bathrooms (one with underfloor heating) and replacement double glazing. A large private rear garden, summerhouse and useful brick-built outbuilding add practical outdoor space. Off-street parking and double gated access lead to an extensive adjoining parcel of land that has been submitted for consideration in the next local plan, offering potential for development subject to planning consent.
The layout suits a family needing flexible living: two connected reception rooms, a family room with wood-burning stove, a sizable home office and four first-floor bedrooms served by a shower room. Modern services include mains gas central heating and replacement glazing; drainage is via a septic tank. The house has been newly renovated throughout, so buyers can move in with minimal immediate works while still enjoying period charm.
Material points to note: the property sits in a medium flood-risk area and construction is of solid brick with no assumed wall insulation, which may affect thermal performance despite double glazing and gas heating. The septic tank needs ongoing maintenance, and the double glazing was installed before 2002. The adjoining land’s development potential is not guaranteed — any future build would require a formal planning application and costs. Council tax is above average for the area.
This cottage will appeal to families or buyers seeking village life with easy access to Shropshire countryside and good local schools. It also offers scope for someone interested in modest development or creating additional accommodation from the adjoining land, subject to permissions.
4 bedroom detached house for sale in 3 Horderley Dingle, Horderley SY7 8HR, SY7 — £600,000 • 4 bed • 1 bath • 788 ft²
4 bedroom cottage for sale in Mousecroft Lane, Off Longden Road, Shrewsbury, SY3 — £385,000 • 4 bed • 1 bath • 1217 ft²
4 bedroom cottage for sale in 1 Shrewsbury Road, Cressage, Shrewsbury, SY5 — £500,000 • 4 bed • 2 bath • 1443 ft²
5 bedroom house for sale in Robertsford Cottage, Preston Street, Shrewsbury, SY2 — £625,000 • 5 bed • 2 bath • 890 ft²
4 bedroom detached house for sale in Abdon, Craven Arms, SY7 — £690,000 • 4 bed • 2 bath • 3106 ft²
2 bedroom detached house for sale in Shepherds Lane, Bicton, Shrewsbury, SY3 — £380,000 • 2 bed • 1 bath • 1123 ft²














































































