**Highlights:**
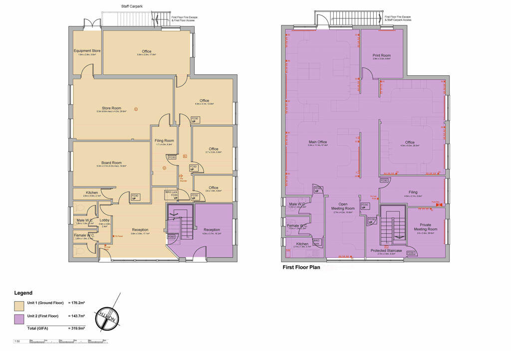
- Spacious two-story modern office building
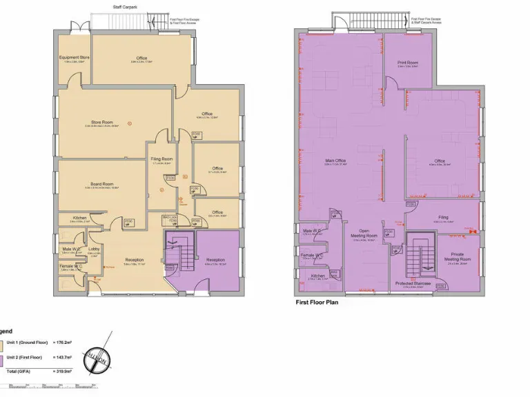
- First-floor suite of approximately 1,489 sq ft
- Six semi-partitioned office areas with potential for customization
- Modern industrial style with exposed beams and natural light
- Kitchen and male/female WC facilities included
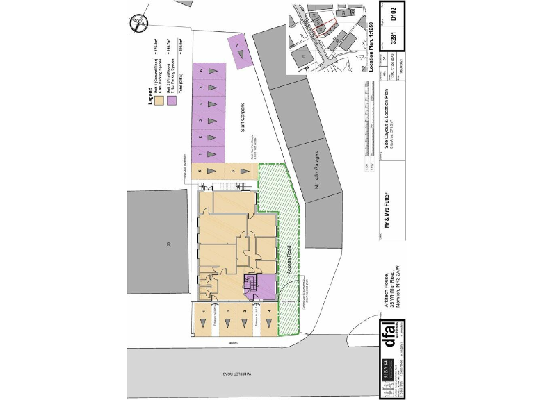
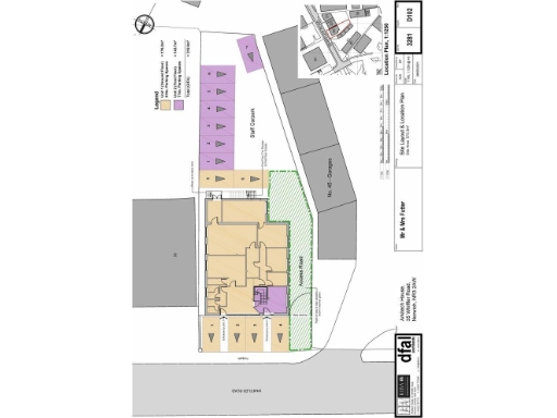
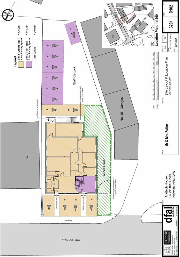
- Seven dedicated parking spaces
- Located in a popular commercial estate near major retailers
This newly renovated office suite on Whiffler Road offers a prime location just 2.5 miles from Norwich city center, nestled in an established commercial area with high visibility. The first-floor space boasts approximately 1,489 sq ft of potential, featuring an open-plan layout that encourages collaboration and efficiency with its six semi-partitioned areas. Modern amenities include a kitchen and restroom facilities, alongside ample parking—ideal for small to medium-sized businesses seeking a professional environment.
While the area offers a variety of nearby amenities and excellent broadband speeds, potential buyers should note the relatively high crime rates and the broader socioeconomic factors impacting the locality. Despite these concerns, the recent renovations and open layout provide an attractive platform for workplace innovation. A freehold purchase option is available at £420,000, making this a unique opportunity to secure a spacious office in a well-connected area. Don't miss out on the chance to seize this opportunity in a rapidly evolving commercial landscape!
Office for sale in Whiffler Road, Norwich, Norfolk, NR3 — £325,000 • 1 bed • 1 bath • 2403 ft²
Office for sale in 2nd Floor, Whiting House, Whiting Road, Norwich, Norfolk, NR4 6DJ, NR4 — POA • 1 bed • 1 bath • 3424 ft²
Office for sale in 111 Queens Road, Norwich, NR1 — £600,000 • 1 bed • 1 bath • 4745 ft²
Office for sale in Inspiration & Integration House, Delft Way, Norwich International Business Park, Norwich, Norfolk, NR6 6BB, NR6 — POA • 1 bed • 1 bath • 4467 ft²
Office for sale in St Clements House, Colegate, Norwich, Norfolk, NR3 — POA • 1 bed • 1 bath • 7706 ft²
Office for sale in Spire House, 13-15 Cathedral Street, Norwich, Norfolk, NR1 — £390,000 • 1 bed • 1 bath • 2573 ft²


















