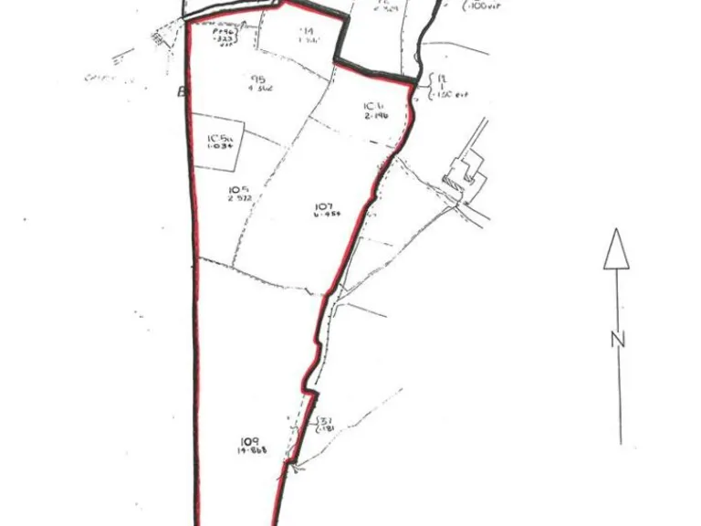
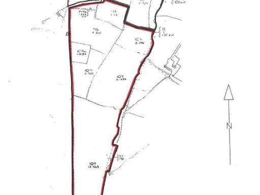
Large pasture and rough grazing block in protected Pembrokeshire countryside.
33.609 acres in one single block
A substantial single-block parcel extending to about 33.61 acres in the heart of Pembrokeshire, offering broad potential for agricultural, forestry or recreational uses. Approximately 20 acres are clean pasture suitable for grazing livestock; the remainder is rough grazing, heather, gorse and scrub with some rocky outcrops and direct boundary onto Castlebythe Mountain. A natural water supply sits on the eastern boundary.
The land is freehold and accessed from a council-maintained single-track tarmac road, with field-gate entrances at two points. Its northerly, gently sloping aspect gives open rural views; the block lies within the Pembrokeshire Coast National Park, which protects landscape quality but will impose planning and use constraints for change of use or development.
There are no services connected (no mains water, drainage or buildings) though mains electricity is understood to be available nearby. The location is remote: mobile signal is absent and broadband speeds are very slow; local facilities are limited to nearby villages and market towns several miles away. Buyers should factor in access, fencing condition, rough ground and potential restrictions from the National Park authority or other consents for forestry or rewilding schemes.
This is a rare opportunity to acquire a sizeable block in a protected scenic area for productive grazing, diversification into forestry/rewilding, or outdoor pursuits subject to consents. The price guide reflects the location and condition; early inspection is recommended for those seeking substantial acreage in Pembrokeshire.
Land for sale in 32.34 Acres St. Davids Road, Letterston, Haverfordwest, SA62 — £405,000 • 1 bed • 1 bath
Land for sale in near Haverfordwest Pembrokeshire, Haverfordwest, SA62 — £130,000 • 1 bed • 1 bath
Land for sale in Glandwr, Whitland, SA34 — £425,000 • 1 bed • 1 bath
Land for sale in 17.10 Acres Agricultural Land, Castlemorris, SA62 — £165,000 • 1 bed • 1 bath
Land for sale in 19.39 Acres of Agricultural Land, Llanychaer, Fishguard, SA65 — £195,000 • 1 bed • 1 bath
Land for sale in 58 acres or thereabouts of land at Llawhaden, SA67 — £580,000 • 1 bed • 1 bath






























