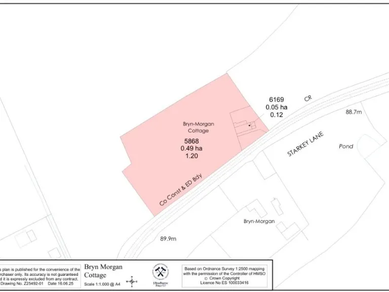
**Standout Features:**
- Approximately 1.3 acres of versatile land.
- Former brick-built cottage structure with redevelopment potential (subject to planning permissions).
- Excellent access just a short drive from Junction 33 of the A55.
- Suitable for equestrian, agricultural, or amenity uses.
- Sold freehold with no chain.
**Notable Concerns:**
- Closure date for tenders on 14th August 2025.
- An existing overage of £40,000 applies for any residential development until 2042.
Discover a unique opportunity with this 1.3-acre parcel of land in Northop. Ideal for families, investors, or equestrian enthusiasts, this property offers vast potential for agricultural, amenity, or development use, especially with the presence of a former brick-built cottage waiting for your vision (planning permission required).
Set in a tranquil, rural environment with excellent access to major roadways, this land combines peaceful living with convenience. While there is an existing overage of £40,000 that applies for residential development, this could easily be offset against the potential rental income or resale value after renovations. Don’t miss this chance to make it your own—submit your tender by 12 noon on 14th August 2025, and explore the possibilities of this expansive space waiting to be transformed into your dream property.
Land for sale in 5 Acres Off Magazine Lane, Ewloe, Flintshire, CH7 — £100,000 • 1 bed • 1 bath
Land for sale in 3 Acres Of Land Near Lixwm & Halkyn, CH8 — £55,000 • 1 bed • 1 bath
Land for sale in Nannerch, CH7 — £180,000 • 1 bed • 1 bath • 1863 ft²
Land for sale in 30.04 Acres Of Land At Park Lane, Llay, LL12 9UG, LL12 — £150,000 • 1 bed • 1 bath
Land for sale in Rhydtalog, Mold, CH7 — £100,000 • 1 bed • 1 bath • 1271 ft²
Land for sale in Northop, Flintshire, CH7 — £670,000 • 1 bed • 1 bath






















