**Standout Features:**
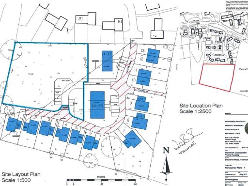
- **Planning Permission:** Approved for 17 independent living units, a guest unit, and a warden's cottage.
- **Site Preparedness:** Mains services are laid, and foundation work has commenced.
- **Large Plot Size:** Offers ample space for development in a rural village setting.
- **Affluent Area:** Located within a low-crime, prosperous community with essential amenities nearby.
- **Development Opportunity:** Flexible purchase options available for developers seeking profitable ventures.
This compelling land opportunity in the charming village of PO41 0LA is primed for residential development, complete with approved plans for 17 independent living units and supporting structures. With the groundwork already laid—mains services installed and foundations underway—this site presents a streamlined shift from planning to construction. The expansive plot allows for innovative architectural designs, appealing to prospective residents seeking modern living.
Surrounded by an affluent community and enhanced by excellent amenities such as schools, leisure facilities, and reliable transport links, the location offers a captivating lifestyle for future occupants. While the current condition is primed for immediate development, potential buyers should be aware of the planning and structural aspects that necessitate careful management. This rare opportunity is ideal for developers looking to create an exclusive living environment in a secure, serene setting—act quickly, as such valued plots do not linger on the market.
Land for sale in Shalfleet, PO30 — £2,250,000 • 1 bed • 1 bath
Land for sale in The Avenue, Titchfield, Fareham, Hampshire, PO14 — £1,100,000 • 1 bed • 1 bath • 12813 ft²
Plot for sale in Gatehouse Road, Upton, PO33 — £395,000 • 3 bed • 2 bath • 2584 ft²
Commercial development for sale in Seaview Lane Nettlestone, Isle Of Wight, PO34 5AH, PO34 — £800,000 • 1 bed • 1 bath
Plot for sale in Luccombe Road, PO37 — £250,000 • 1 bed • 1 bath • 1889 ft²
Plot for sale in Moor Lane, Brighstone, PO30 — £1,275,000 • 1 bed • 1 bath • 1250 ft²










































