**Investment Highlights:**
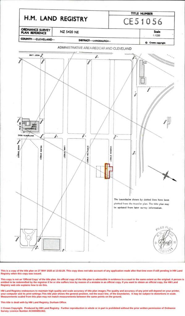
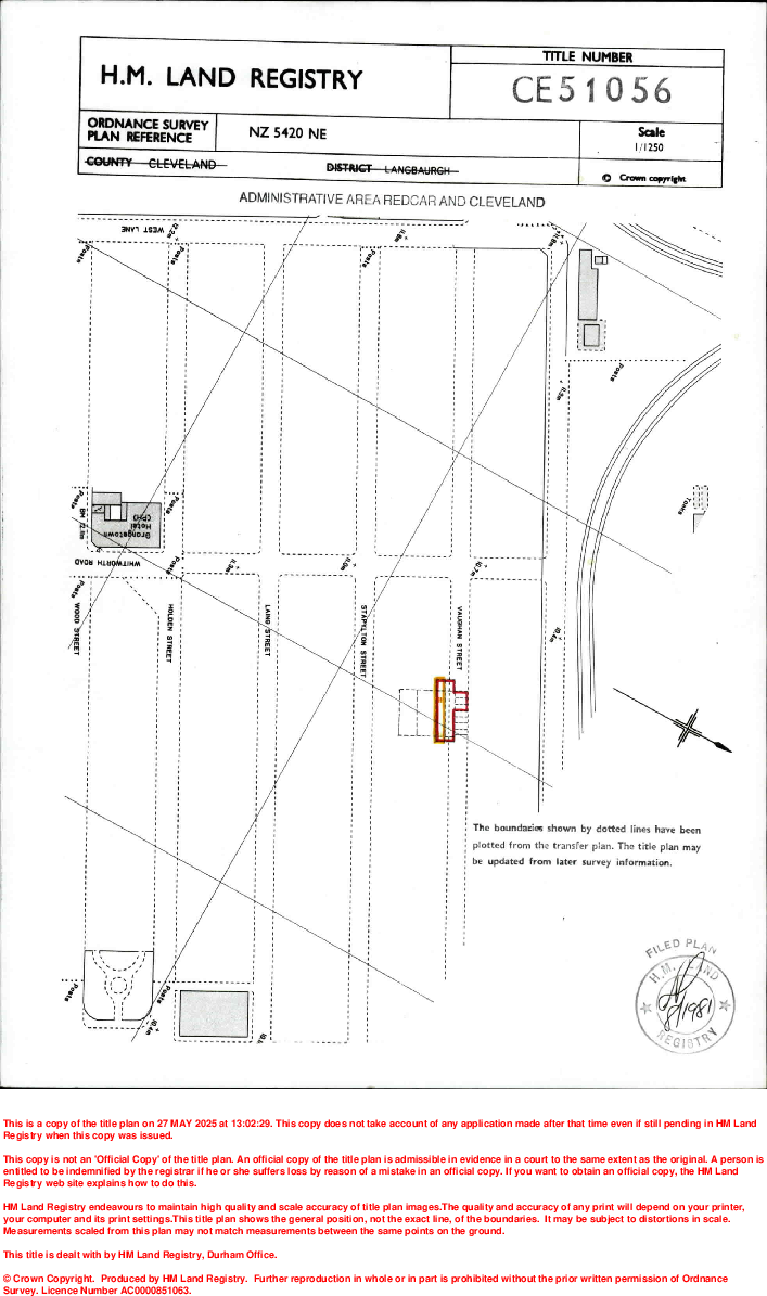
- Freehold ownership for a portfolio of seven light industrial units.
- Strategic location close to Teesworks, the UK’s largest industrial site.
- Fully let with established tenants, many of whom have occupied for over 15 years.
- Current annual income of £33,760 with significant potential to exceed £65,000.
- High demand area benefiting from ongoing industrial growth.
- Excellent connectivity with immediate access to the A66 and links to the A19.
- Overall site area of 9,339 sq ft (868 sq m), providing ample space for tenants.
- Strong rental yield potential of up to 12%.
This rare opportunity presents a well-maintained collection of light industrial units in a burgeoning area of Middlesbrough. Ideal for investors looking for hassle-free management, the property boasts long-term tenants and consistent income. With the potential for rent increases, you can expect strong financial returns from this investment.
The location not only offers exceptional access to major transport routes but also supports the vibrant industrial growth of the region. It’s positioned in a high-demand locale, ensuring sustained interest by potential future tenants. While the local area faces challenges, the property’s established tenancy provides security.
Don't miss out on this chance to secure a profitable industrial investment! The units are ready for immediate rental income, allowing you to make your investment work for you from day one.
Light industrial facility for sale in Westerby Road, Middlesbrough, North Yorkshire, TS3 — £490,000 • 1 bed • 1 bath • 18292 ft²
Light industrial facility for sale in Stonehouse Street, Middlesbrough, North Yorkshire, TS5 — £550,000 • 1 bed • 1 bath • 5259 ft²
Light industrial facility for sale in Newcomen Road, Middlesbrough, North Yorkshire, TS6 — £775,000 • 1 bed • 1 bath • 6466 ft²
Light industrial facility for sale in 1 North Road, Middlesbrough TS2 1DE, TS2 — £550,000 • 1 bed • 1 bath • 8107 ft²
Light industrial facility for sale in Cannon Street, Middlesbrough, North Yorkshire, TS1 — £5,400,000 • 1 bed • 1 bath
Heavy industrial facility for sale in Lorne Street and Howard Street, Middlesbrough, Teesside, TS1 5RA, TS1 — £450,000 • 1 bed • 1 bath


















































