**Standout Features:**
- Freehold self-build plot in desirable Llwydcoed village
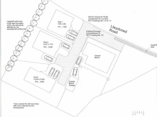
- Planning permission granted for a detached unit (13.5m x 6.5m)
- Off-road parking available
- Surrounded by greenery with pleasant views
- Excellent mobile signal and average broadband speeds
**Summary:**
Discover the perfect opportunity to create your dream home on this freehold self-build plot in the highly sought-after village of Llwydcoed. With planning permission already secured for a modern detached unit, this generous 945 square foot site affords ample room for creativity. The charming surrounding greenery enhances the appeal, offering natural views and a peaceful atmosphere. Ideal for families or first-time buyers, this plot not only provides easy access to local amenities, such as shops and schools, but also boasts excellent transport links to major roads.
Although the area exhibits some deprivation, it is complemented by a supportive community and various recreational options, making it a hidden gem waiting to be developed. This rare chance to build a home that meets your exact specifications won’t last long—seize it today and begin envisioning your future in Llwydcoed!
Land for sale in Copperbeech, Llwydcoed Road, Aberdare, CF44 — £99,995 • 4 bed • 1 bath • 1006 ft²
Land for sale in Land at High Street, Ynysybwl, Rhondda Cynon Taff, CF37 — £85,000 • 1 bed • 1 bath
Plot for sale in Building Plot, Self Build at Aberfan Road Merthyr Tydfil, CF48 — £70,000 • 1 bed • 1 bath
Land for sale in Land on Railway Terrace, Treorchy, Rhondda Cynon Taff, CF42 — £89,950 • 1 bed • 1 bath
Land for sale in The Beeches, Abercynon, Mountain Ash, CF45 — £79,995 • 5 bed • 4 bath
Land for sale in Land North of St. Josephs Terrace, Cwmaman, Aberdare, CF44 — £209,995 • 4 bed • 1 bath






