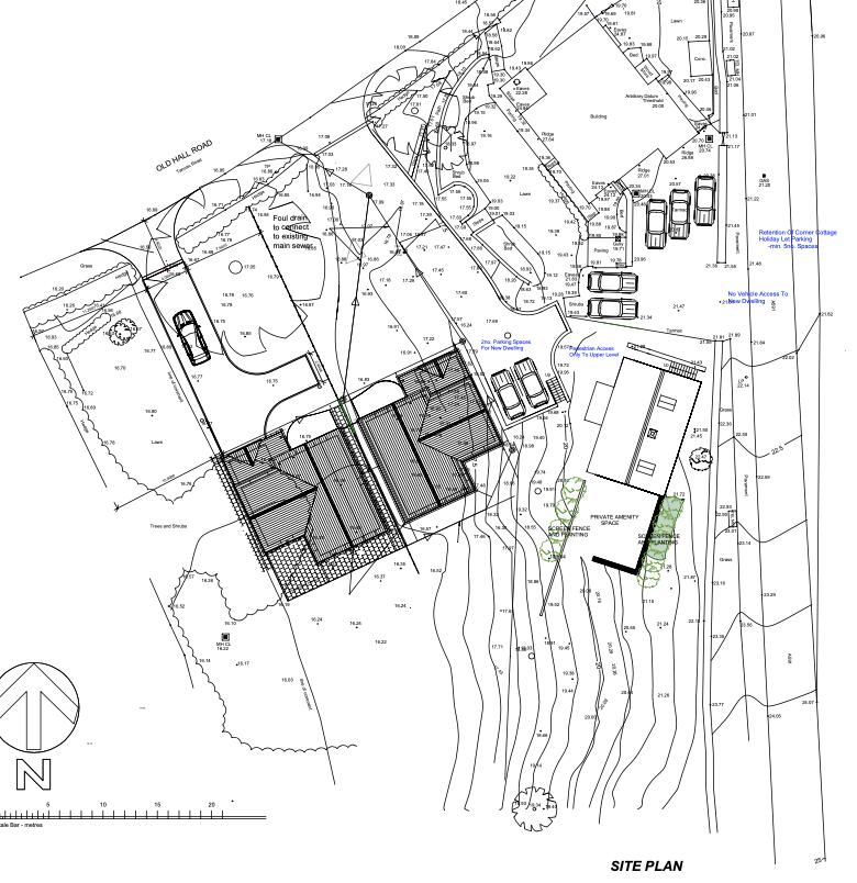
**Standout Features:**
- Large plot size (2,573 sq ft)
- Freehold tenure, chain-free sale
- Planning permission for a 4-bedroom, 3-story home (Reference: 7/2023/5101)
- Prime location near Windermere and Ambleside
- Traditional Cumbrian exterior with modern design elements
- Excellent potential for rental or family living
- Off-street parking available
**Concerns:**
- Property requires renovation before building begins
- Slow broadband speeds in the area
Nestled in the heart of the picturesque Lake District National Park, this large plot (2,573 sq ft) presents a remarkable opportunity for anyone looking to create their dream home or investment property. With planning permission already in place for a spacious and modern 4-bedroom, 3-story home, this property offers the perfect blend of traditional Cumbrian charm and modern living. You'll enjoy a tranquil village setting with fabulous fell walks literally at your doorstep, and a quick 5-minute drive into Windermere ensures you have all amenities close by.
Inside, the proposed open-plan layout promises ample natural light and a family-friendly atmosphere, perfect for gatherings. Envision cozy evenings around a feature fireplace or lively summer barbecues on the low-maintenance patio. While the property requires renovation, its potential is limitless. However, it's essential to note that broadband speeds are currently slow in the area.
This freehold, chain-free property sits on an expansive lot, perfect for families seeking comfort in a serene environment. With off-street parking and thoughtful landscaping, your dream home in the idyllic Lake District awaits. Don’t miss this rare opportunity to secure a piece of this beautiful countryside; inquire quickly, as it's not likely to last long!
Plot for sale in Building Plot, Horseshoe Lodge, Kendal Road, Bowness-on-Windermere, LA23 3ER, LA23 — £275,000 • 3 bed • 2 bath • 1507 ft²
Land for sale in Plot 3, Lickbarrow Road, Windermere, LA23 — £395,000 • 4 bed • 2 bath
4 bedroom detached house for sale in No. 65 Windermere Park, Windermere, Cumbria, LA23 2ND, LA23 — £800,000 • 4 bed • 2 bath • 2005 ft²
3 bedroom detached house for sale in Storrs Park, Bowness-on-Windermere, Windermere, Cumbria, LA23 — £750,000 • 3 bed • 2 bath • 2556 ft²
Land for sale in Development Opportunity, Swallows Nest, Troutbeck, LA23 1PN, LA23 — £229,500 • 3 bed • 2 bath
2 bedroom detached house for sale in 27 Victoria Road North, Windermere, Cumbria, LA23 2DS, LA23 — £450,000 • 2 bed • 1 bath • 1111 ft²














































