South-facing building plot with planning permission and foundations laid, offering stunning coastal views..
South-facing plot with panoramic sea and countryside views
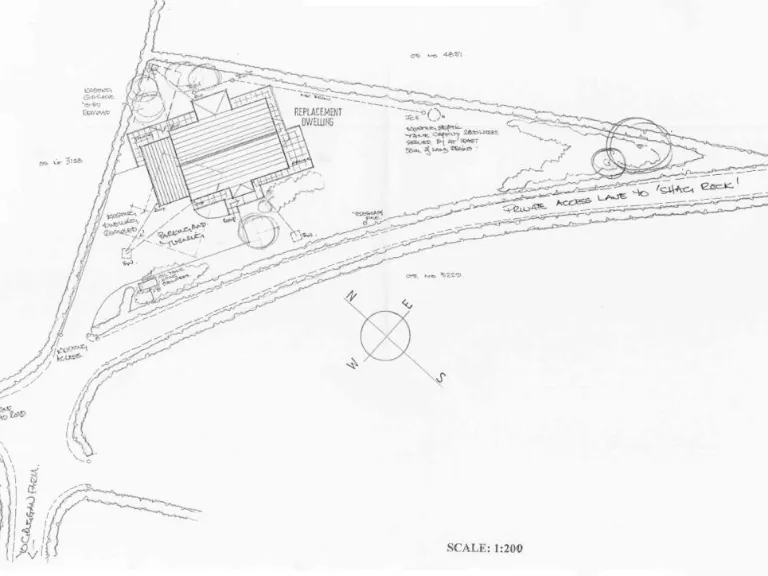
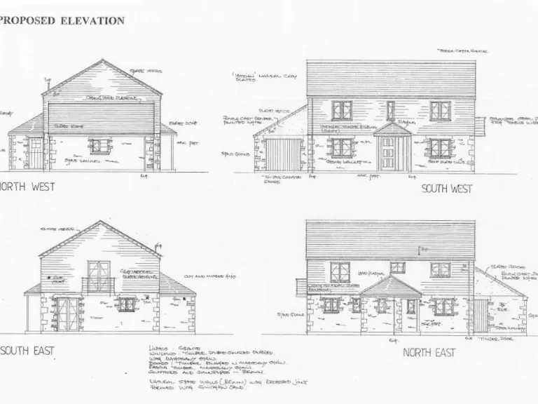
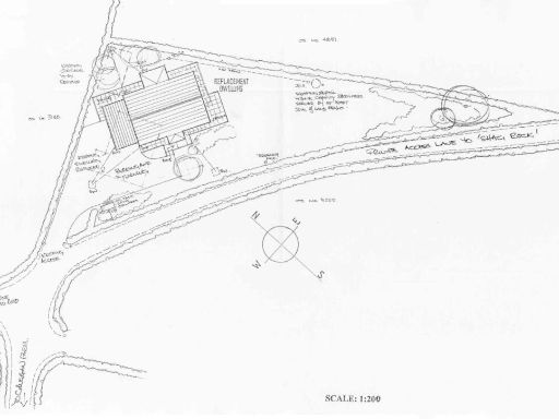
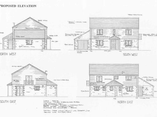
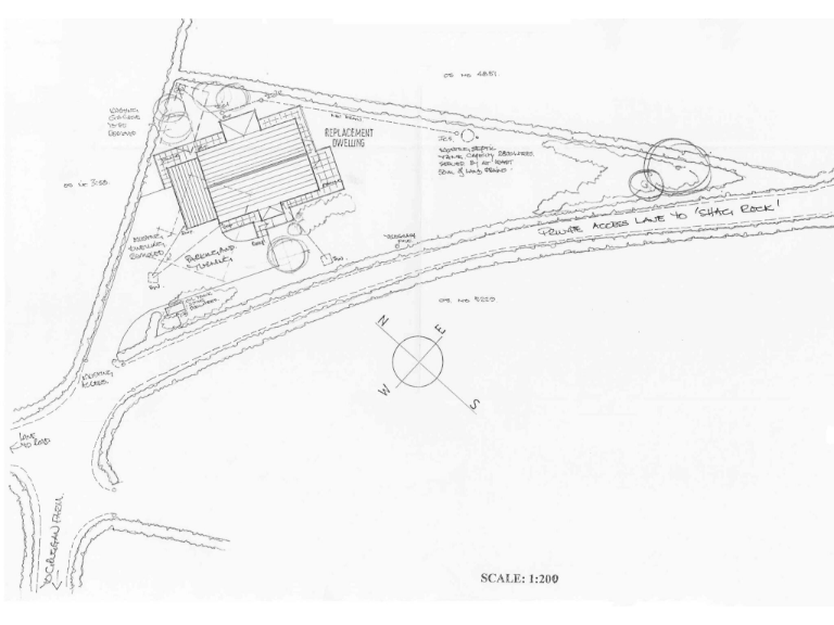
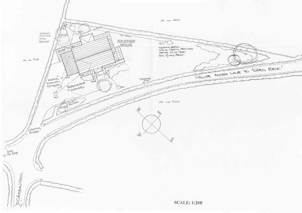
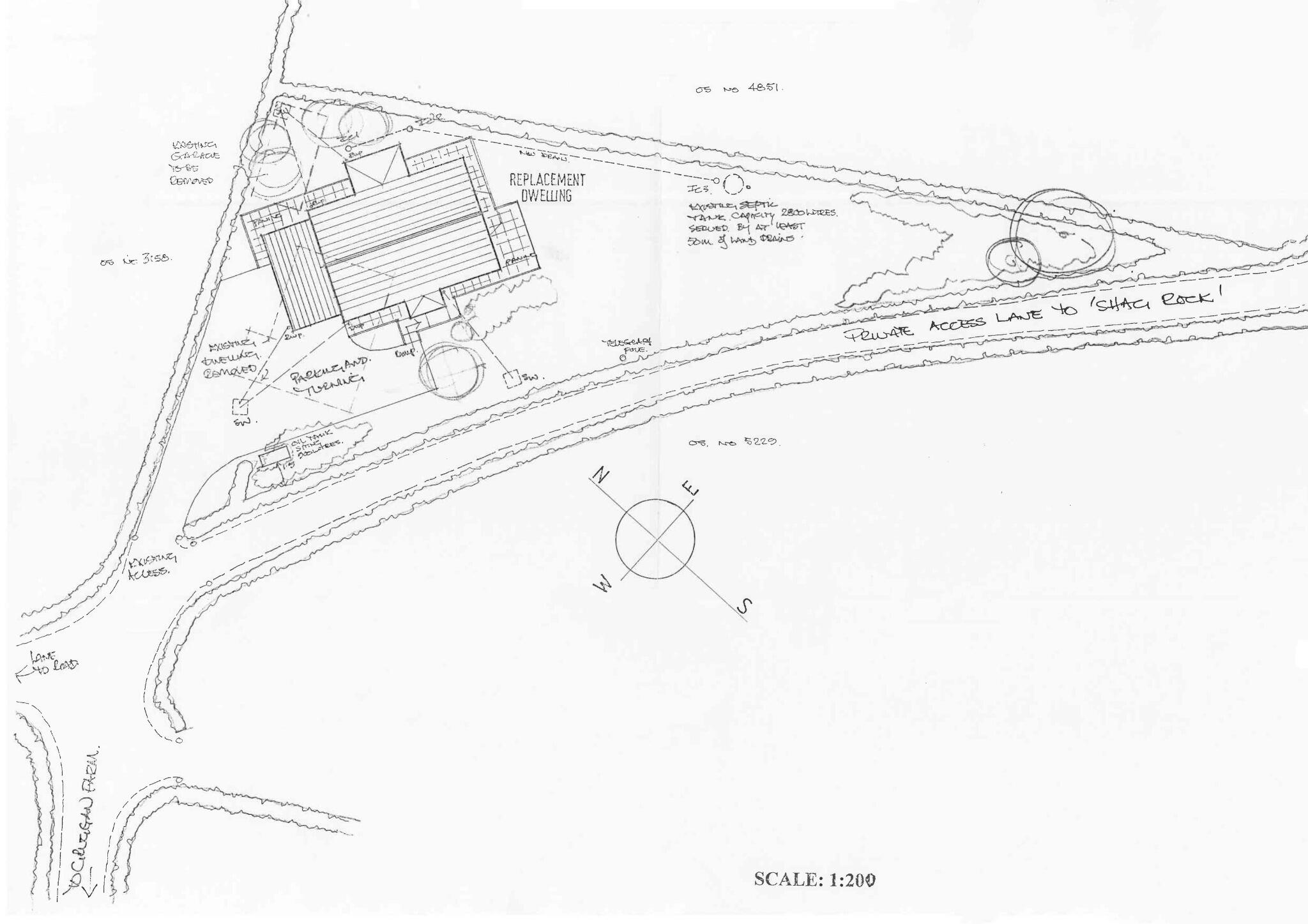
Planning permission granted PA36/1262/05/R for 3/4-bedroom farmhouse
Foundations already laid; mains electricity available on site
Private water supply and private septic tank in situ
Provision for attached garage, driveway parking and garden
Surface water flood risk rated medium; river/sea risk very low
FTTC broadband available but speeds modest (24–46 Mbps predicted)
Remote hamlet location; short drives to local shops and services
Set on the Roseland Peninsula between Portloe and Portholland, this freehold building plot comes with planning permission for a 3/4-bedroom farmhouse-style detached house (PA36/1262/05/R). Foundations are already laid and mains electricity is available, reducing early build costs and enabling a quicker start. The site faces south and delivers sweeping sea and countryside views toward Veryan Bay and Dodman Point — a genuine coastal outlook that will be the focal point of the finished home.
Practical services are in place: a private water supply from Cruggan Farm and an existing private septic tank. The plot includes provision for an attached garage, driveway parking and a generous garden area, set within a largely secluded hamlet environment with very low local crime. Local amenities are a short drive away (Veryan, Tregony), while Truro and St Austell remain within reasonable reach for broader services.
Buyers should note material considerations: broadband provision is FTTC with modest predicted speeds (Openreach c. 24–46 Mbps) and the local description lists “slow” broadband; mobile signal is good. Surface water long-term flood risk is medium (river/sea risk very low). Community Infrastructure Levy may apply and purchasers should verify requirements with the planning authority before committing. The plot’s rural, remote setting suits someone seeking privacy rather than close-in village living.
This is a strong opportunity for a buyer wanting a coastal, bespoke build with planning already secured and groundwork started. It will suit someone prepared to manage a rural self-build project and the practicalities of private services, CIL considerations and site-specific build choices.
Plot for sale in Rosevine, The Roseland Peninsula, Cornwall, TR2 — £1,500,000 • 4 bed • 3 bath • 3067 ft²
Plot for sale in Roseland Peninsula, TR2 — £70,000 • 1 bed • 1 bath
Plot for sale in BUILDING PLOT - Menagissey, Mount Hawke, Near Truro, TR4 — £250,000 • 1 bed • 1 bath
Plot for sale in Building Plot, Hewas Water, Cornwall, PL26 — £130,000 • 3 bed • 1 bath
Plot for sale in Gillan, Manaccan, Helston, Cornwall, TR12 — £200,000 • 1 bed • 1 bath • 2519 ft²
Plot for sale in Gillan, Manaccan, Helston, Cornwall, TR12 — £165,000 • 1 bed • 1 bath






























































