**Standout Features:**
- Established family-run garage business operating for 23 years
- Spacious steel-framed main garage/workshop with hydraulic ramps, and a waste oil heater
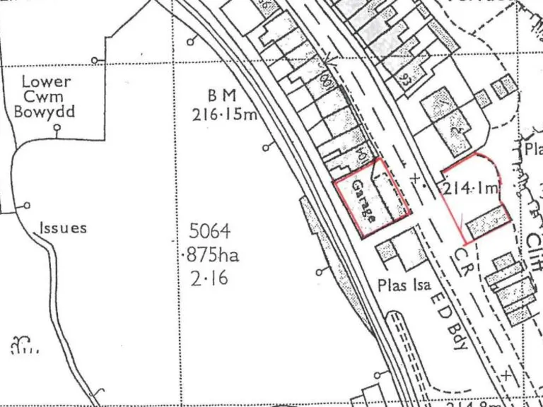
- Strategic High Street location with approximately 60ft frontage
- Includes reception office, stores room, and a basement for additional utility
- Significant redevelopment potential with planning permission for two dwellinghouses on adjacent land
- Genuine retirement sale, providing a turn-key opportunity for a new owner
- Low crime area in the town, with excellent mobile signal and fast broadband speeds
Nestled in the heart of Blaenau Ffestiniog on the bustling High Street, this expansive commercial garage offers a unique investment opportunity. Spanning 1,952 square feet, the purpose-built steel-framed structure includes a fully equipped workshop, a reception area, and a dedicated staff canteen. Its 60-foot forecourt, currently utilized for vehicle display, enhances visibility and accessibility for potential clients. The property not only presents a successful business model—established for over two decades—but also boasts lucrative redevelopment potential with existing planning permissions for two residential units on adjacent land.
While the garage may show signs of age typical of constructions predating 1900, its location and structures offer promising avenues for modernization or expansion. This is an ideal purchase for savvy investors or entrepreneurs looking to reestablish a service-oriented business while taking advantage of the growing residential development in the area. This rare opportunity won’t last long; envision the possibilities of transforming this property into your vision today!
High street retail property for sale in Church Street, Blaenau Ffestiniog, LL41 — £65,000 • 1 bed • 1 bath • 1601 ft²
Commercial property for sale in High Street, Porthmadog, LL49 — £118,000 • 1 bed • 1 bath • 809 ft²
Land for sale in Land Adjacent Moelwyn Motors, High Street, Blaenau Ffestiniog, LL41 — £95,000 • 1 bed • 1 bath
Commercial property for sale in Bank Place, Porthmadog, LL49 — £175,000 • 1 bed • 1 bath • 1056 ft²
Land for sale in High Street, Blaenau Ffestiniog, Gwynedd, LL41 — £99,000 • 1 bed • 1 bath • 357 ft²
Commercial property for sale in Church Street, Blaenau Ffestiniog, LL41 — £99,000 • 1 bed • 1 bath • 1735 ft²






























































