Ready-to-build scheme with approved permission and off-street garage parking.
Full planning permission granted and all conditions discharged
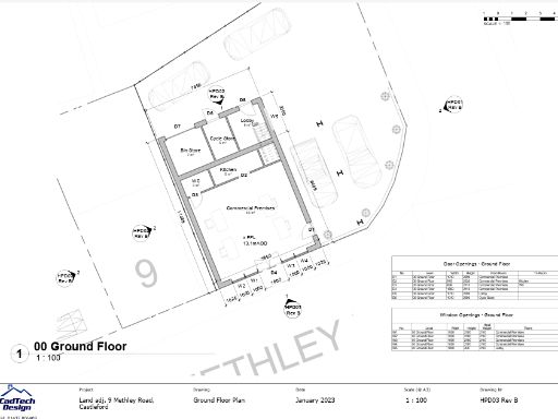
A ready-to-build development plot on Methley Road with full planning permission and all conditions discharged. The 3,289 sq ft corner site benefits from consent for a three-storey mixed-use building: ground-floor Class E commercial/office space with two one-bed residential flats above. Approval was granted by Wakefield Council (19/02279/FUL) on 19 April 2023, so construction can proceed without further planning delays.
The site is freehold and offers practical on-site features including garage/off-street parking and a garden area. Essential utilities and access appear straightforward; mobile signal is excellent and local broadband is average. The location sits close to local amenities and public transport links, which supports rental demand for both commercial and residential uses.
This parcel is a clear fit for investors or small developers seeking a lower-cost acquisition with planning in place — the asking price reflects that opportunity. Note the wider area is very deprived with high crime levels and constrained local incomes, so tenant mix and lettings strategy should reflect local market realities. Construction and management plans should account for those socio-economic factors.
Buyers should allow budget for build costs, fit-out to Class E specification, and any site remediation or security measures. The permission removes a major planning hurdle, but purchasers must carry out their own site surveys and contractual checks before exchange.
Land for sale in Leeds Road, Allerton Bywater, Castleford, WF10 — £250,000 • 1 bed • 1 bath • 19166 ft²
Land for sale in Land at Longacre, Castleford, WF10 — £450,000 • 1 bed • 1 bath
Land for sale in Land On The South Side Of, Red Hall Lane, Wakefield, WF1 — £450,000 • 1 bed • 1 bath
Land for sale in Womersley Road, Knottingley, WF11 0DB, WF11 — £580,000 • 5 bed • 1 bath • 1314 ft²
Land for sale in LAND For Sale - Willow Park, Pontefract, WF8 — £100,000 • 6 bed • 5 bath • 881 ft²
Land for sale in Wakefield, WF3 — £230,000 • 1 bed • 1 bath • 8407 ft²






























































