**Standout Features:**
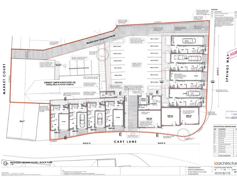
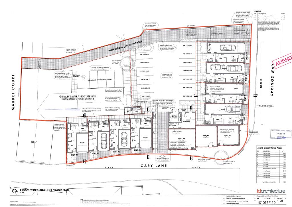
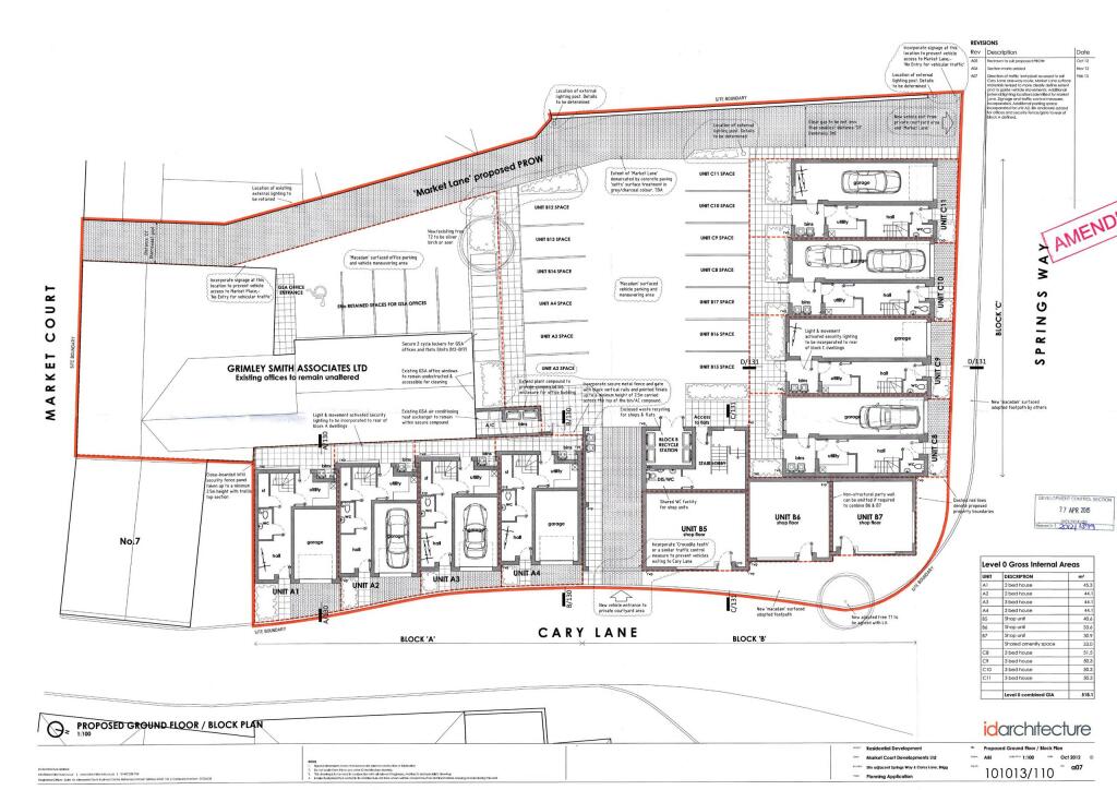
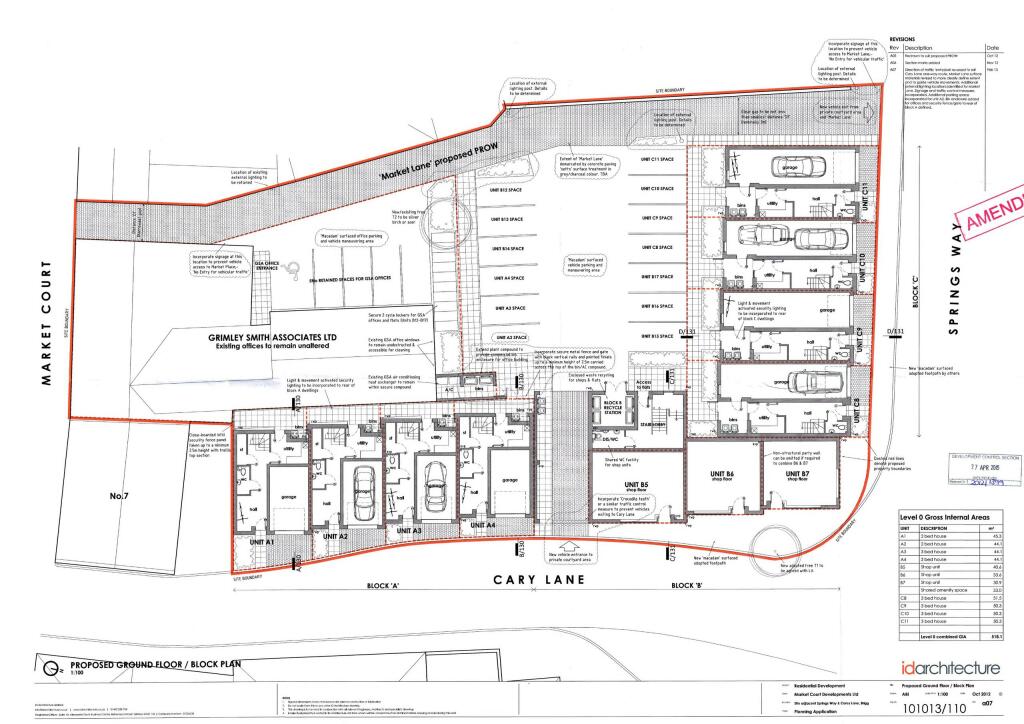
- Prime town center location with full planning consent
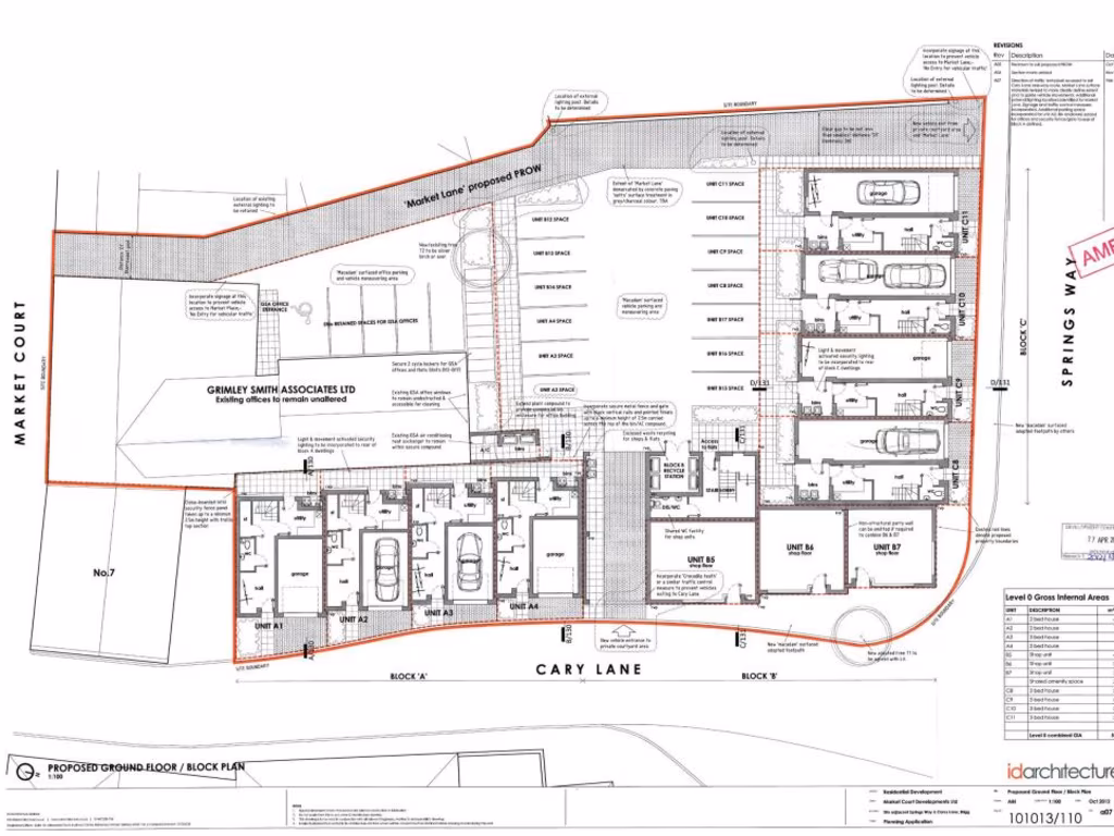
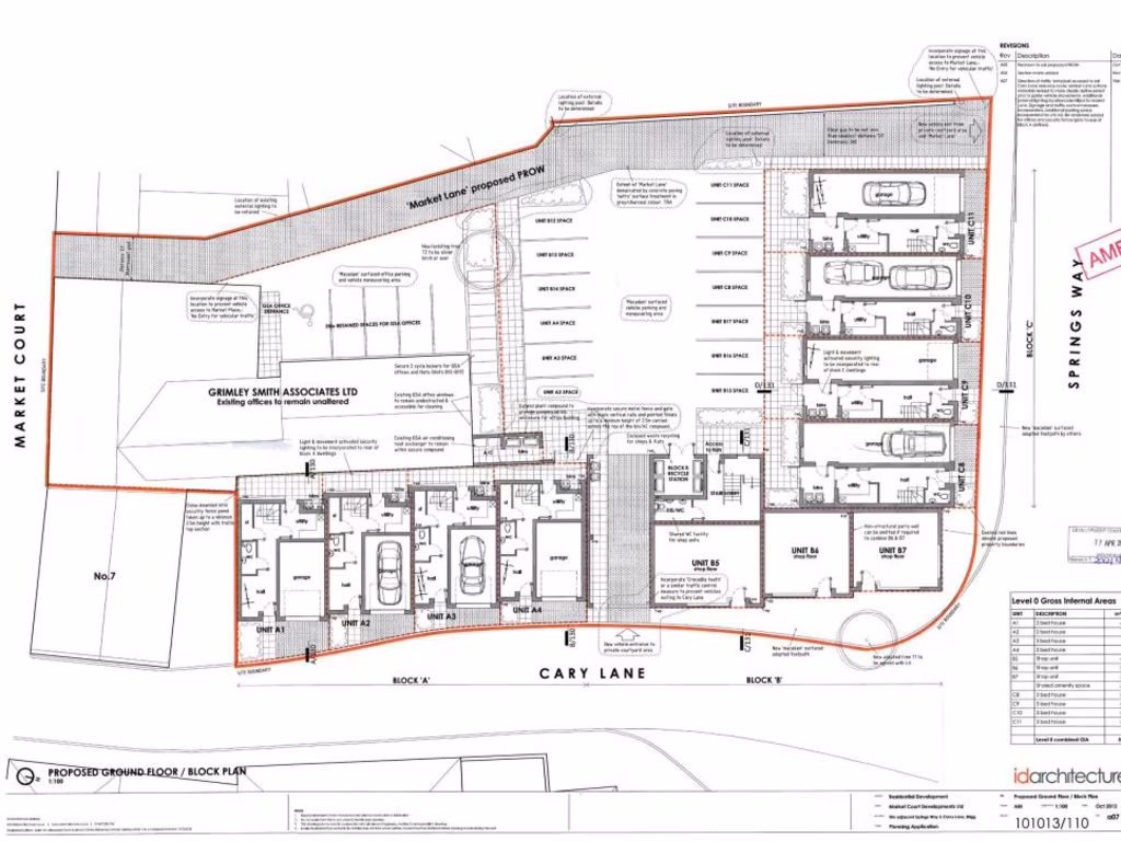
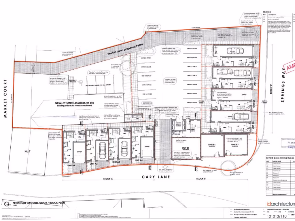
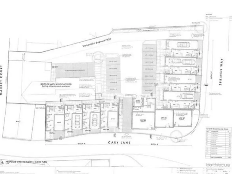
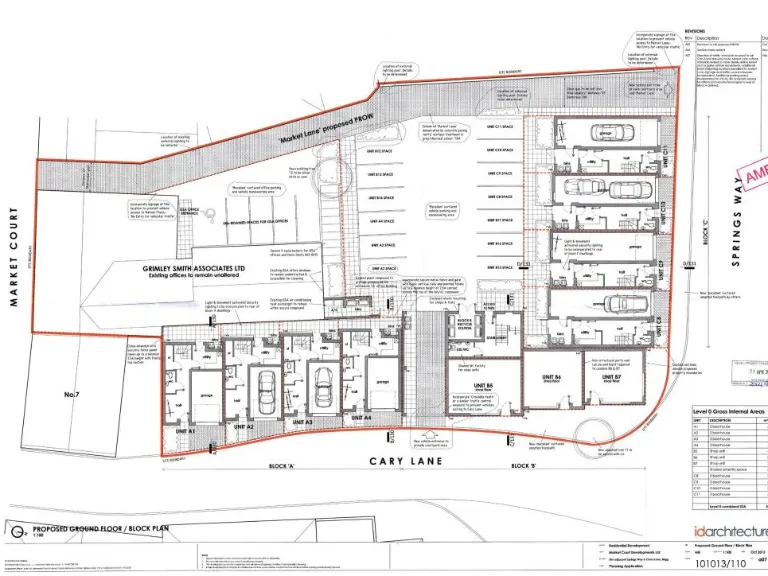
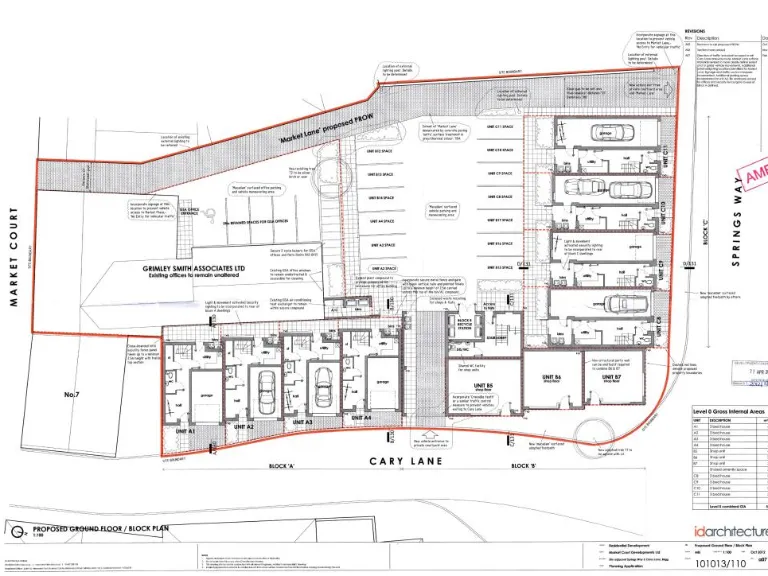
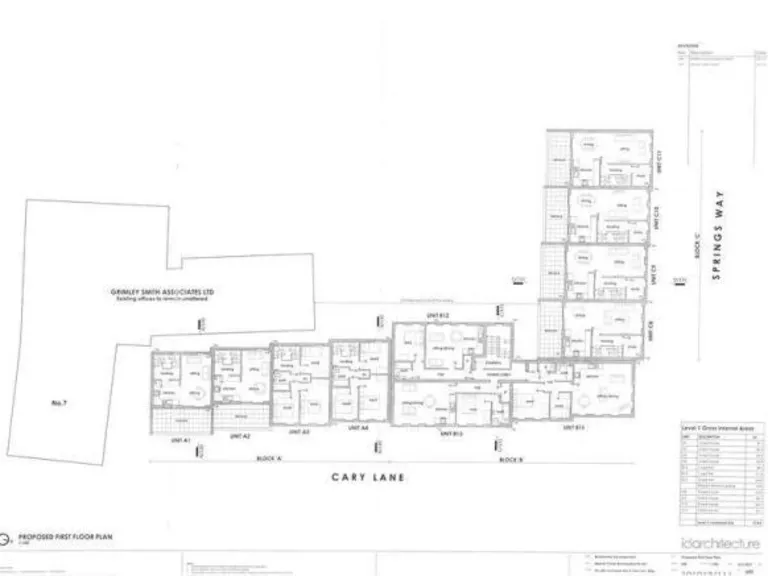
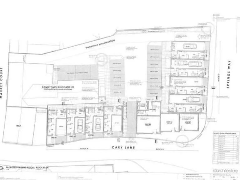
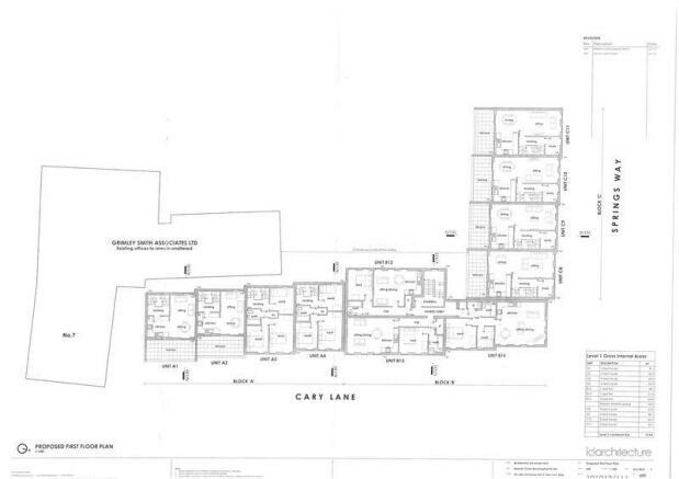
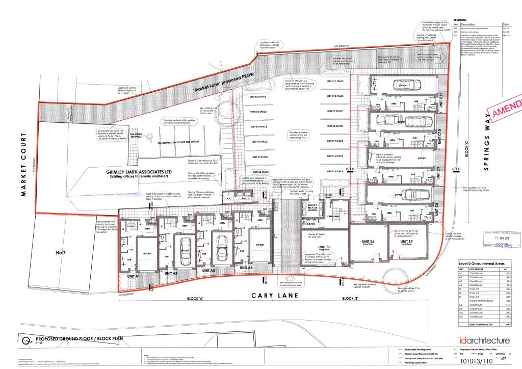
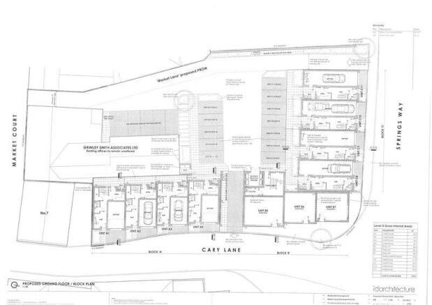
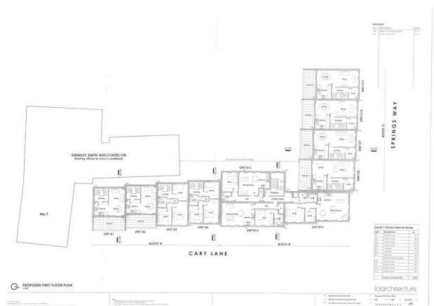
- Proposed development of 8 townhouses, 6 apartments, and 3 retail units
- Freehold land on a spacious 0.5-acre site
- Prominent corner position on Carey Lane and Springs Way
- Potential for modern, pedestrian-friendly multi-unit residential housing
**Summary:**
Discover a lucrative development opportunity in the heart of Brigg, DN20 8HA. This proposed site features full planning consent for an ambitious project of 8 modern townhouses, 6 stylish apartments, and 3 retail units, perfectly positioned to cater to the growing demand for urban living. The large, level 0.5-acre plot ensures ample space for a contemporary design that embraces a vibrant community atmosphere.
While the property is situated in a town fringe area with high crime rates and local deprivation, it offers excellent mobile connectivity, making it a viable option for forward-thinking investors. Future residents will appreciate the proximity to essential amenities, schools, and public transport options.
This is your chance to invest in a promising project that enhances community living—don't miss the opportunity to transform this site into a thriving residential hub. Act quickly; projects of this caliber in such a central location are rare and bound to attract significant interest!
Commercial development for sale in Development Site, Bigby Road, Brigg, Lincolnshire, DN20 — £250,000 • 1 bed • 1 bath • 18295 ft²
Plot for sale in Princess Street, Brigg, North Lincolnshire, DN20 — £65,000 • 1 bed • 1 bath
Land for sale in Copplestones, Scawby Road, Scawby Brook, Brigg, Lincolnshire, DN20 9JU, DN20 — £80,000 • 1 bed • 1 bath
Office for sale in The Health Place, Wrawby Road, Brigg, Lincolnshire, DN20 8GS, DN20 — £750,000 • 1 bed • 1 bath • 20832 ft²
Plot for sale in Station Road, Hibaldstow, Brigg, DN20 — £395,000 • 1 bed • 1 bath
Land for sale in Pasture Road, Barton-Upon-Humber, DN18 — £495,000 • 1 bed • 1 bath






















































































