Rare freehold plots (0.5 acre each) with building potential, gated access and mains water — subject to approvals..
Two freehold plots, each approx 0.5 acres (STS)
Mains water present; other services untested — verify independently
Vehicle access via byway; gated five-bar entrance on site
No confirmed planning permission; development subject to approvals
Offers invited by informal tender; measurements are approximate
Mature trees, hedgerows and open grassland; very large plots
Slow broadband locally despite excellent mobile signal
Flood risk: no risk; area classified as affluent
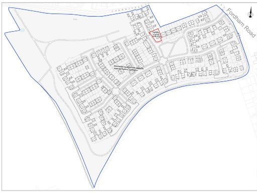
Two adjoining amenity plots, each about 0.5 acres (STS), sit just off a byway to the south of Soham. The freehold parcels are largely grassland with hedgerows and mature trees, a gated five-bar entrance and vehicle access from the lane. Mains water is present; other services have not been tested and should be independently checked.
This is primarily a plot-for-development or investment opportunity for someone prepared to take the next steps with planning. The land offers scope for a range of end uses subject to obtaining the necessary approvals — there is no extant planning permission and offers are invited by informal tender. Measurements and boundaries are a guide only and will require independent verification.
Practical considerations include slow broadband locally despite excellent mobile signal, and access via a byway rather than an adopted road. Flood risk is rated as nil, and the area is generally affluent with nearby schools (including a nearby outstanding secondary) and woodland amenities. Buyers should commission searches and surveys before offer submission and be prepared for the formal ID checks required under money-laundering regulations.
Land for sale in Great Fen Road, Soham, Cambridgeshire, CB7 5UH, CB7 — £100,000 • 1 bed • 1 bath
Land for sale in Great Fen Road, Soham, Ely, CB7 — £275,000 • 1 bed • 1 bath • 1800 ft²
Land for sale in Land off Paddock Street, Soham, CB7 — £85,000 • 1 bed • 1 bath
Land for sale in School Lane, Aldreth, CB6 — £300,000 • 1 bed • 1 bath • 3200 ft²
Detached house for sale in Barway Road, Barway, Ely, Cambridgeshire, CB7 — £500,000 • 1 bed • 1 bath • 1318 ft²
Land for sale in Land off Cherry Tree Lane, Soham, CB7 — £100,000 • 1 bed • 1 bath • 2150 ft²






















