Freehold plot with outline consent for a detached home — suited to self-builders or small developers..
Freehold large plot with outline planning permission
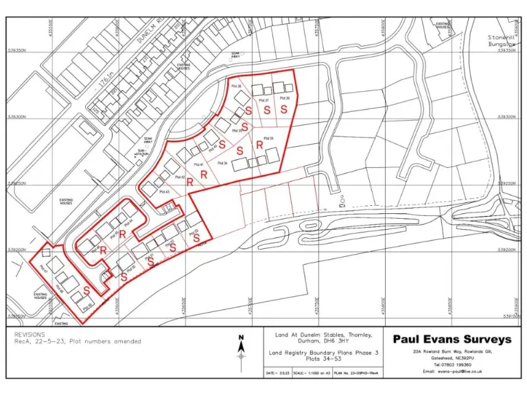
A large freehold plot with outline planning permission for a detached dwelling in Thornley, offering a clear route to a new-build home or development sale. Outline consent from Durham County Council reduces early planning risk, while services will be routed to each plot as the scheme completes.
This opportunity suits a self-builder or small-scale developer who can secure detailed planning and building regulations. Purchasers should allow for a one-off £5,000 cost to connect electricity, water and fibre, plus a likely annual estate charge of around £750 for communal landscaping upkeep.
The site sits on the town fringe with good mobile signal and local amenities nearby, including primary and secondary schools rated Good by Ofsted. Note the wider area records higher deprivation and slower broadband speeds — factors to consider for long-term rental or resale strategies.
Practical points: a non-refundable £2,000 reservation fee secures a plot for 12 weeks, and buyers are responsible for confirming exact plot sizes and boundaries before exchange. The plot is priced to reflect outline consent and the need for purchaser-led detailed approvals and build works.
Plot for sale in Plot 44, Dunelm Stables, Thornley, Durham, DH6 3BN, DH6 — £120,000 • 1 bed • 1 bath • 4283 ft²
Plot for sale in Plot 43, Dunelm Stables, Thornley, Durham, DH6 3BN, DH6 — £149,000 • 1 bed • 1 bath • 5777 ft²
Land for sale in Bridge End, Coxhoe, Co Durham, DH6 — £80,000 • 1 bed • 1 bath • 862 ft²
4 bedroom detached house for sale in Gore Hill Estate, DH6 — £425,000 • 4 bed • 1 bath
Plot for sale in Building Plot 3 at Warwick Gardens, Byers Green, DL16 — £50,000 • 1 bed • 1 bath
Land for sale in Land Rear Of John Street South, Meadowfield, DH7 — £750,000 • 1 bed • 1 bath • 5630 ft²


