Large freehold plot with planning history ideal for experienced developers.
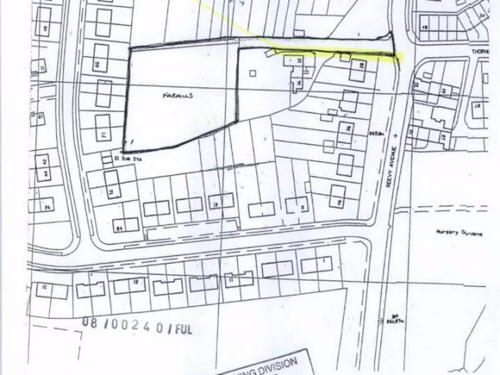
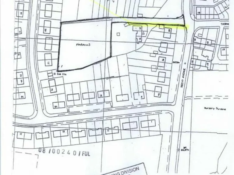
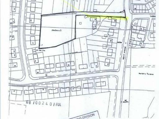
0.76-acre freehold parcel with development potential
Previous outline consent (1997) for 14 terraces — now lapsed
Access via Reevy Avenue/Farhills; substation relocation may allow Gracey Lane access
Site currently overgrown and requires clearance and remediation
Auction sale: 5% deposit, buyer’s premium, 28-day completion
Located in a deprived area with high local crime levels
Strong mobile signal and fast broadband on site
Three past planning submissions; fresh consent will be needed
A substantial 0.76-acre freehold parcel in Bradford offering clear development potential for builders or investor-developers. The site is currently overgrown and accessed from Reevy Avenue/Farhills, with a possible additional access route if the substation is relocated via Gracey Lane. Three planning applications have been submitted in the past; the most notable was an outline consent for 14 terraced dwellings in 1997 that has since lapsed.
This lot will be sold unconditionally at online auction with a 5% deposit, buyer’s premium payable on sale, and legal completion required 28 days after auction. Buyers should review the legal pack for special conditions and any additional costs before bidding. The seller may consider pre-auction offers but standard auction conditions, including the buyer’s premium and deposit, will still apply.
Location factors: broadband and mobile signal are strong, and several primary schools nearby are rated Good by Ofsted. The wider area is classified as deprived with a high crime level and mostly terraced housing and flats; these are important considerations for end-market demand, financing and future sales values. The site is best suited to purchasers who can manage remediation, obtain fresh planning, or deliver a low-cost residential scheme.
Land for sale in Car Park North Of Pine Street, Bradford, West Yorkshire, BD1 4EY, BD1 — £60,000 • 1 bed • 1 bath • 8579 ft²
Land for sale in Land At Raikes Avenue, , Bradford, BD4 — £69,000 • 1 bed • 1 bath
Land for sale in Former 22, Tennis Avenue, Bradford, Bradford, BD4 9RA, BD4 — £300,000 • 3 bed • 1 bath
Land for sale in Car Park South Of Pine Street, Bradford, West Yorkshire, BD1 4EY, BD1 — £100,000 • 1 bed • 1 bath
Land for sale in Reevy Road West, Bradford, West Yorkshire, BD6 — £600,000 • 1 bed • 1 bath
Land for sale in Beehive Mills, Thornton Road, Bradford, BD1 2EE, BD1 — POA • 1 bed • 1 bath






























