Secure storage and off-road parking ideal for local homeowners or investors.
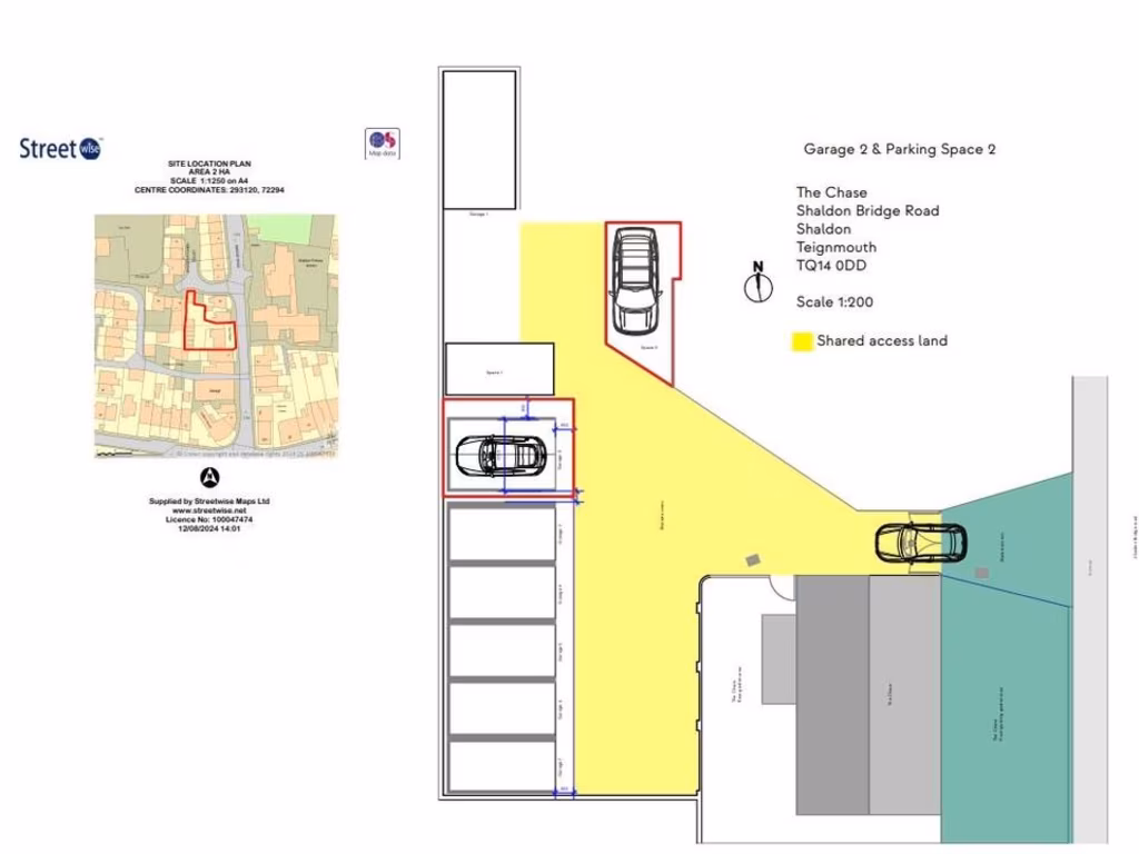
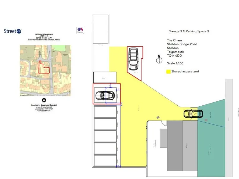
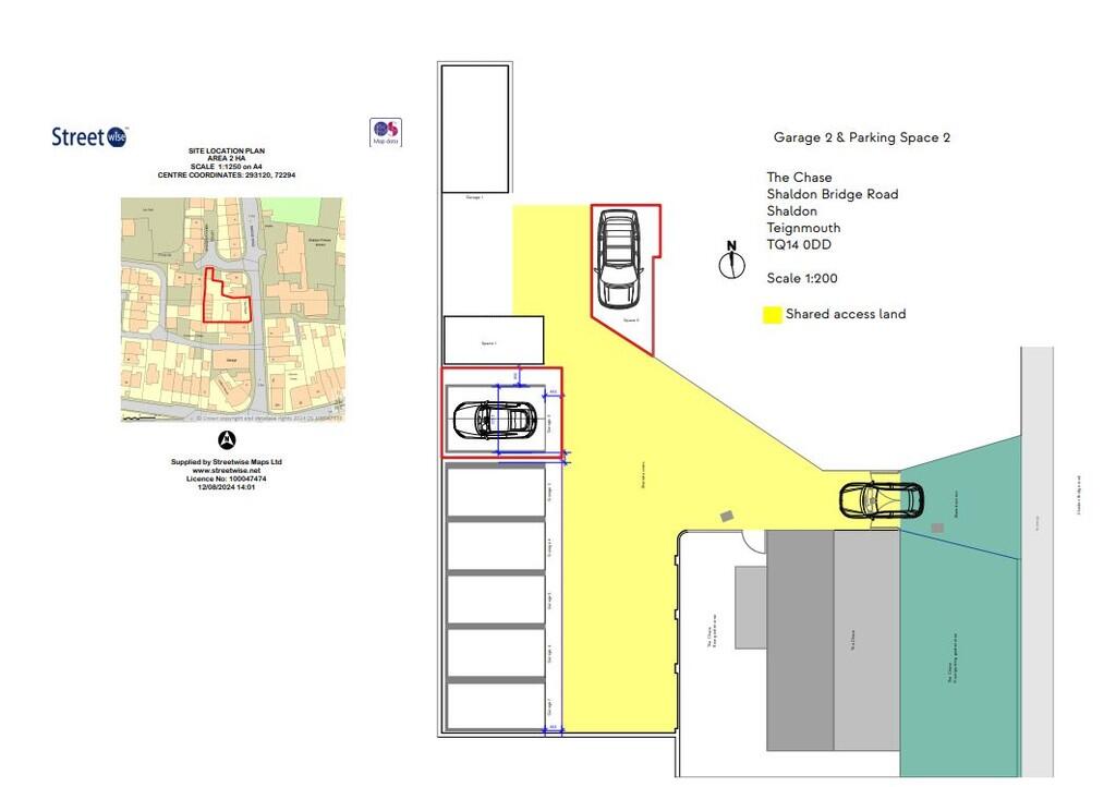
Freehold detached single garage with additional parking space
Tucked-back location just off Bridge Road, accessed via shared driveway
Large plot; useful for storage, vehicle, trailer, or boating equipment
Medium flood risk — consider insurance and flood mitigation
Very low local crime; excellent mobile reception, average broadband
Situated in a very affluent area with nearby amenities and slipway
Viewing strictly by appointment only; utility-style 20th-century building
Suitable for personal use or low-maintenance investment
A rare freehold detached single garage with an extra adjacent parking space, tucked back from Bridge Road for added privacy. The utility outbuilding sits on a large plot and offers secure off-road parking and useful storage in a very affluent, low-crime area with excellent mobile reception and average broadband.
This straightforward asset suits a variety of buyers: local homeowners needing overflow storage or a safe place for a trailer or tender, families seeking extra parking, or investors looking for a low-maintenance addition to a property portfolio. Its proximity to local amenities and a nearby slipway increases its practical value for boating and coastal users.
Buyers should note the site has a medium flood risk and the building is of utilitarian 20th-century construction; maintenance or upgrades may be required depending on intended use. Viewing is by appointment only. Sold freehold, this is a simple, flexible holding with clear potential for long-term convenience or rental income.
Garage for sale in The Chase - Garage & Parking Space, TQ14 — £140,000 • 1 bed • 1 bath
Garage for sale in The Chase - Garages ONLY, TQ14 0DD, TQ14 — £250,000 • 1 bed • 1 bath
Terraced house for sale in Teignhaven, Off Clifford Close, Shaldon, TQ14 — £75,000 • 1 bed • 1 bath
Garage for sale in Garage, Broadlands, TQ14 — £125,000 • 1 bed • 1 bath • 602 ft²
Garage for sale in Garage, Broadlands, Shaldon, Devon, TQ14 — £225,000 • 1 bed • 1 bath
Garage for sale in North Boundary Road, Brixham, TQ5 — £25,000 • 1 bed • 1 bath










