**Standout Features:**
- Expansive 1.08-acre plot of land in a tranquil rural setting
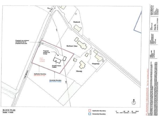
- Planning permission in principle for a dwellinghouse and garage (ref 22/01387/PIP)
- Proximity to essential amenities in Tain, approximately 5 miles away
- Mains water and electricity available onsite; drainage via septic tank
**Potential Concerns:**
- Very slow broadband speeds; rural setting may limit connectivity
- Located in a deprived area; might affect the overall investment appeal
Escape to your own slice of rural paradise with this generous 1.08-acre plot of land, surrounded by breathtaking countryside and farmland. With planning permission in principle secured for a dwellinghouse and garage, this is an exceptional opportunity to create a family home tailored to your design preferences. The site offers essential utilities nearby and is conveniently located just 5 miles from the vibrant village of Tain, where you can access supermarkets, schools, and local amenities.
Ideal for families or investors looking to build in a serene setting, the plot provides both privacy and space to grow, all while being within reasonable commuting distance to Inverness which offers a wealth of services and entertainment options. While some aspects such as connectivity may pose challenges, the potential for a personal retreat in a peaceful community is unparalleled. Don’t miss the chance to develop your dream home in this idyllic location; opportunities like this don’t last long!
Land for sale in Quarry Road, Balintore, IV20 — £75,000 • 1 bed • 1 bath
Land for sale in Plot 3 SW of Ballachraggan Cottage, Kildary, Ross-ShireIV18 — £35,000 • 1 bed • 1 bath • 455 ft²
Plot for sale in Plots at Knockbreck Avenue, Tain, Ross-Shire, IV19 — £70,000 • 1 bed • 1 bath • 1664 ft²
Plot for sale in Willowbank Park, Alness, Ross-Shire, IV17 0TL, IV17 — £70,000 • 1 bed • 1 bath • 2806 ft²
Land for sale in Plots at Kildary, Kildary, Invergordon, IV18 — £40,000 • 1 bed • 1 bath • 21780 ft²
Plot for sale in Two Plots, Croft Pedde Ct, Elizabeth Cr, Dornoch, Sutherland, IV25 3NT, IV25 — £90,000 • 1 bed • 1 bath • 9020 ft²










